목록으로
최종 업데이트: 2026-04-22 13:21
2025타경247
창원지방법원 마산지원 1계(055-240-9413)
부동산
부동산임의경매
유찰
진행중
| 소재지 |
-
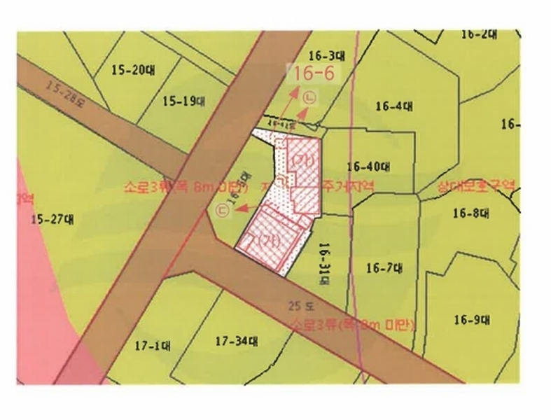
(경상남도 창원시 마산회원구 양덕동 16-6)
|
|---|---|
| 물건종류 | 근린주택 |
| 면적 |
토지: 0.00㎡ (0평)
건물: 195.38㎡ (59.1평)
|
| 현재 위치 | 경상남도 창원시 마산회원구 양덕동 16-6 |
| 소유자 / 채무자 | 이승우 / 이승우 |
| 채권자 | 문점희 |
| 배당종기일 | 2025-10-21 |
감정가
322,002,170
최저가
110,447,000
보증금
11,044,700
입찰 진행 내역
| 회차/구분 | 입찰기일 | 최저매각가격 | 결과 |
|---|---|---|---|
| 1차 (진행) | 2026-01-22 | 322,002,170 | 유찰 |
| 2차 (진행) | 2026-03-05 | 225,402,000 | 유찰 |
| 3차 (진행) | 2026-04-09 | 157,781,000 | 유찰 |
| 4차 (진행) | 2026-05-14 | 110,447,000 |
임차인 현황
| 임차인명 | 점유여부 | 전입/확정/배당 | 보증금 / 차임 | 예상배당액 | 대항력 |
|---|---|---|---|---|---|
| 감영일 | 주거용 2층 안쪽방( 202호) 전부 |
전입: 2021-02-26
확정: - 배당: 2025-07-25 |
3,000,000
월 310,000
|
0 | 없음 |
| 김영한 | 주거용 1층 가운데 방, 방1,부 엌(103 호) |
전입: -
확정: - 배당: - |
0
월 250,000
|
0 | 없음 |
| 김월임 | 주거용 1층 입구방 방2,거 실,부엌 (101호, 102호) |
전입: 2024-03-04
확정: 2024-03-04 배당: 2025-10-10 |
17,000,000
월 100,000
|
0 | 없음 |
| 이동원 | 주거용 2층입구방( 201호) 전부 |
전입: 2021-10-06
확정: 2021-10-06 배당: 2025-08-18 |
35,000,000
월 0
|
0 | 없음 |
매각물건 현황
| 구분 | 순번 | 소재지 | 용도/구조/면적 | 감정가 | 비고 |
|---|---|---|---|---|---|
| 토지 | 토지 | 양덕동 16-6 | 제2종일반주거지역,가축사육제한구역 / 대 168.6㎡ (51평) | 1,690,000 | 284,934,000원 |
| 건물 | 1 | 양덕북1길 28 [양덕동 16-6]세멘보록크 벽돌조 스라브지붕 | 1층 / 주택 | 100 | 177,000원 |
| 2 | 2층 | 주택 | 36.23㎡(10.96평) / 177,000원 | 6,412,710 | * 사용승인:1975.02.10* 도시가스에 의한 난방설비 |
| 3 | 2층 | 주택 | 43.92㎡(13.29평) / 250,000원 | 10,980,000 | * 사용승인:2004.07.07* 증축 * 도시가스에 의한 난방설비 |
| 제시외건물 | 1 | 양덕북1길 28 [양덕동 16-6]판넬조 판넬지붕 등 1.판넬조 판넬지붕, 2.판넬조 판넬지붕, 3.조적조 슬래브지붕 | 단층 / 다용도실 | 5 | 58,300원 |
| 2 | 단층 | 창고 | 2.4㎡(0.73평) / 50,000원 | 120,000 | 매각포함 |
| 3 | 2층 | 주택일부 | 9.2㎡(2.78평) / 177,000원 | 1,628,400 | 매각포함 |
현황 및 위치
* 대상물건은 경상남도 창원시 마산회원구 양덕동 소재 "양덕2동행정복지센터" 북측 인근에 위치하며, 주위는 단독주택, 각종 근린상가 등으로 형성되어 있음. * 본건까지 차량접근 가능하며, 인근에 시내버스정류장이 소재하여 제반 대중교통사정은 보통임. * 인접지와 대체로 등고평탄하게 조성된 부정형의 토지로서, 주거용 건부지로 이용중임. * 남서측 및 북서측으로 약 6m 폭의 포장도로에 접하나, 북서측으로 통행이 불가능함.
참고사항
* 일괄매각. 제시외 건물 포함. * 건물의 1층은 공부상 근린생활시설로 등재되어 있으나, 현재 주택으로 보임. * 건물 2층의 건축물대장상 구조는 경량철골구조 43.92㎡, 세멘보르크조 및 세멘벽돌조 36.23㎡이나 실측에 의하면 세멘보르크조 및 세멘벽돌조 43.92㎡, 경량철골구조 36.23㎡임. ▶ 본 물건은 공부상과 현황상 물건 상태가 다르니 확인하시고 입찰하시기 바랍니다.
등기부 현황
건물
| 순위 | 접수일자 | 권리종류 | 권리자 | 채권금액 | 소멸여부 | 비고 |
|---|---|---|---|---|---|---|
| 1(갑8) | 2020-02-21 | 소유권이전(매매) | 이OO | 0 | ||
| 2(을6) | 2020-02-21 | 근저당 | 마OOOOOO | 163,200,000 | 소멸 | 말소기준등기 |
| 3(을8) | 2020-10-08 | 근저당 | 마OOOOOO | 10,800,000 | 소멸 | |
| 4(을9) | 2021-01-20 | 근저당 | 문OOOOOO | 75,000,000 | 소멸 | |
| 5(을10) | 2023-10-23 | 근저당 | 김OO | 78,000,000 | 소멸 | |
| 6(갑13) | 2024-02-23 | 가압류 | 경OOOOOOO | 44,696,000 | 소멸 | 2024카단297 |
| 7(갑14) | 2024-03-18 | 가압류 | 신OOOOO | 17,969,201 | 소멸 | 2024카단105 |
| 8(갑15) | 2024-03-18 | 가압류 | 국OOO | 13,116,397 | 소멸 | 2024카단299 |
| 11(갑20) | 2025-06-23 | 임의경매 | 문OO | 32,369,860 | 소멸 | 2025타경247 |
관련 문서 (PDF)
클릭하면 원본 파일이 열립니다