목록으로
최종 업데이트: 2026-04-22 13:21
2025타경312
춘천지방법원 원주지원 3계(033-738-1122)
부동산
부동산임의경매
유찰
진행중
| 소재지 |
-
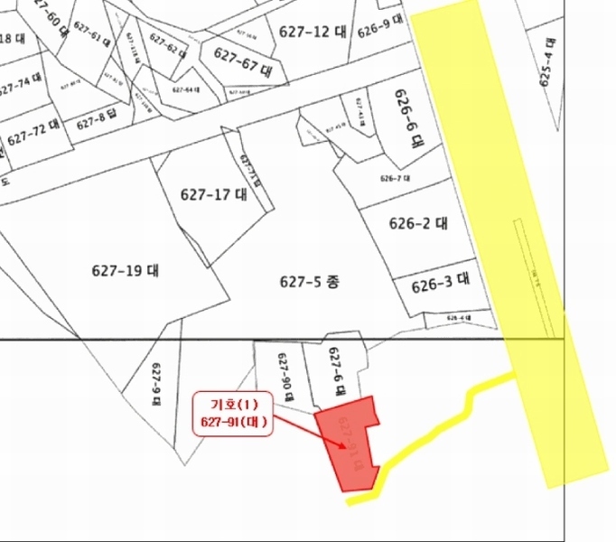
(강원특별자치도 원주시 단구동 627-91)
|
|---|---|
| 물건종류 | 주택 |
| 면적 |
토지: 0.00㎡ (0평)
건물: 88.12㎡ (26.66평)
|
| 현재 위치 | 강원특별자치도 원주시 단구동 627-91 |
| 소유자 / 채무자 | 망 최상옥의 상속인 장명천 외 5 / 망 최상옥의 상속인 장명천 외 5 |
| 채권자 | 한국주택금융공사 |
| 배당종기일 | 2025-06-16 |
감정가
160,368,240
최저가
78,581,000
보증금
7,858,100
입찰 진행 내역
| 회차/구분 | 입찰기일 | 최저매각가격 | 결과 |
|---|---|---|---|
| 1차 (진행) | 2026-02-02 | 160,368,240 | 유찰 |
| 2차 (진행) | 2026-03-23 | 112,258,000 | 유찰 |
| 3차 (진행) | 2026-04-20 | 78,581,000 | |
| 4차 (진행) | 2026-06-01 | 55,007,000 |
매각물건 현황
| 구분 | 순번 | 소재지 | 용도/구조/면적 | 감정가 | 비고 |
|---|---|---|---|---|---|
| 토지 | 토지 | 단구동 627-91 | 가축사육제한구역,제2종일반주거지역 / 대 200㎡ (60.5평) | 704,000 | 140,800,000원 |
| 건물 | 치악로 1631-4 [단구동 627-91]시멘트블록조 시멘트기와지붕 | 단층 | 주택 / 55.12㎡(16.67평) | 277,000 | 15,268,240원 |
| 제시외건물및기타 | 1 | 치악로 1631-4 [단구동 627-91]벽체이용 샷시조 등 1.벽체이용 샷시조, 2.목조 스레트지붕, 3.목조 스레트지붕, 4.목조스레트 및 썬라이트지붕, 5.조적조 스라브지붕, 6.조적조 스라브지붕, 7.조적조 스라브지붕 | 단층 / 현관 | 6 | 250,000원 |
| 2 | 단층 | 보일러실 | 3.9㎡(1.18평) / 40,000원 | 156,000 | 매각포함 |
| 3 | 단층 | 보일러실 | 3㎡(0.91평) / 30,000원 | 90,000 | 매각포함 |
| 4 | 단층 | 가추 | 2.9㎡(0.88평) / 20,000원 | 58,000 | 매각포함 |
| 5 | 단층 | 창고 | 3.4㎡(1.03평) / 180,000원 | 612,000 | 매각포함 |
| 6 | 단층 | 창고 | 10.8㎡(3.27평) / 180,000원 | 1,944,000 | 매각포함 |
| 7 | 단층 | 창고 및 화장실 | 5.4㎡(1.63평) / 100,000원 | 540,000 | 매각포함 |
현황 및 위치
* 본건은 강원특별자치도 원주시 단구동 소재 ""단구동행정복지센터"" 북동측 근거리에 위치하고 있으며, 부근은 단독주택, 주거나지 및 근린생활시설 등으로 형성되어 있습니다. * 본건까지 차량접근이 곤란하며, 버스정류장과의 거리, 노선, 운행빈도 등을 감안할 때 대중교통 사정은 무난시됩니다. * 대체로 평탄한 부정형의 토지로서, 현황 ""주거용 건부지"" 상태입니다. * 본건은 지적도상 맹지이며, 본건 남동측으로 인접필지를 이용한 로폭 1.5미터 내외의 보도블럭 도로를 통하여 도보접근 가능하나 합법적 이용여부 등은 미상입니다.
참고사항
* 일괄매각. 제시외 건물 포함 * 치악로 1631-4 [단구동 627-91]) 건물 중 부속건물 시멘트블록조 시멘트기와지붕 단층 변소 1.2㎡ 소재불명 * 본건 토지 지상에 소재하는 수목, 수도시설, 바닥포장, 담장, 대문, 장독대 등은 일반적인 거래관행에 따라 토지가격에 포함하여 평가하였으니 경매진행시 참고하시기 바람 * 본건 건물에 부속된 다락, 외부계단 및 진출입 경사로, 처마 및 차양 등은 일반적인 거래관행에 따라 건물가격에 포함하여 평가하였으니 경매진행시 참고하시기 바람 * 본건 건물은 기준시점 현재 장기간 공실상태인 것으로 추정되며 경매입찰시 전기, 수도, 위생설비 및 보일러 등 건물관련 설비의 정상작동 여부 등을 재확인하시기 바람 * 본건 토지중 일부는 현황 ‘도로’로 이용가능성이 있는 등 인접토지와의 지적경계가 불분명하고 현장 여건상 목측에 의한 지적경계를 정확히 특정하기가 어려운 바, 감정인의 현황 판단에 차이가 따를 수 있으므로 정확한 현황 및 지적경계 등을 파악하기 위해서는 필요에 따라 측량을 요함 ☞현황서상 내용:제시 외 물건 소재함 ㄱ현관, ㄴ보일러실, ㄷ차양, ㄹ보일러실및차양, ㅁ창고, ㅂ창고등, ㅅ지하실 부합물 및 종물 형태임
등기부 현황
건물
| 순위 | 접수일자 | 권리종류 | 권리자 | 채권금액 | 소멸여부 | 비고 |
|---|---|---|---|---|---|---|
| 1(갑1) | 1982-04-17 | 소유권보존 | 장OO | 0 | ||
| 2(갑2) | 2009-01-16 | 소유권일부이전 | 최OO | 0 | 증여, 1/2 | |
| 3(을1) | 2017-02-24 | 근저당 | 한OOOOOOOOOOOOOOO | 364,000,000 | 소멸 | 말소기준등기 |
| 4(갑3) | 2022-03-17 | 장주호지분전부이전 | 최OO | 0 | 협의분할에의한 상속, 1/2 | |
| 5(갑4) | 2025-03-04 | 소유권이전(상속) | 장OOOOO | 0 | 장명천 장명란 장금란 장명기 장정아 장명근 각 1/6 | |
| 6(갑5) | 2025-03-17 | 임의경매 | 한OOOOOOOOOOOOOOO | 57,503,168 | 소멸 | 2025타경312 |
관련 문서 (PDF)
클릭하면 원본 파일이 열립니다