목록으로
최종 업데이트: 2026-04-28 04:05
2025타경35
춘천지방법원 영월지원 3계(033-371-1118)
부동산
부동산임의경매
취하/변경
진행중
| 소재지 |
-
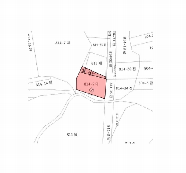
(강원특별자치도 평창군 봉평면 무이리 813-1)
|
|---|---|
| 물건종류 | 주택 |
| 면적 |
토지: 0.00㎡ (0평)
건물: 254.60㎡ (77.02평)
|
| 현재 위치 | 강원특별자치도 평창군 봉평면 무이리 813-1 |
| 소유자 / 채무자 | 홍종린 외 1명 / 김옥녀 |
| 채권자 | 대화신협 |
| 배당종기일 | 2025-03-31 |
감정가
356,178,000
최저가
174,528,000
보증금
17,452,800
입찰 진행 내역
| 회차/구분 | 입찰기일 | 최저매각가격 | 결과 |
|---|---|---|---|
| 1차 (진행) | 2026-01-27 | 356,178,000 | 유찰 |
| 2차 (진행) | 2026-03-10 | 249,325,000 | 유찰 |
| (진행) | 2026-04-14 | 174,528,000 | 변경 |
진행 메모
본사건은 변경 되었으며 현재 매각기일이 지정되지 않았습니다.
매각물건 현황
| 구분 | 순번 | 소재지 | 용도/구조/면적 | 감정가 | 비고 |
|---|---|---|---|---|---|
| 토지 | 토지 | 1 | 무이리 813-1 / 계획관리지역,지구단위계획구역,주거용지 | 74 | 403,000원(182,700원) |
| 토지 | 2 | 무이리 814-5 | 계획관리지역,지구단위계획구역,주거용지 / 대 509㎡ (153.97평) | 403,000 | 205,127,000원 |
| 토지 | 3 | 무이리 814-20 | 계획관리지역,지구단위계획구역,주거용지 / 대 20㎡ (6.05평) | 403,000 | 8,060,000원 |
| 건물 | 1 | 안흥동길 20 [무이리 813-1외 2필지]조적조 스라브지붕 | 1층 / 창고 | 97 | 548,000원 |
| 2 | 2층 | 주택 | 97.6㎡(29.52평) / 548,000원 | 53,484,800 | * 사용승인:1998.10.26 |
| 제시외건물및기타 | 1 | 무이리 814-20조적조 슬래브지붕 등 1.조적조 슬래브지붕, 2.목조 강판지붕, 3.샷시조 | 1층 / 보일러실 | 5 | 166,667원 |
| 2 | 단층 | 창고 | 38.5㎡(11.65평) / 72,727원 | 2,800,000 | 매각포함 |
| 3 | 2층 | 창고 | 15.5㎡(4.69평) / 161,290원 | 2,500,000 | 매각포함 |
현황 및 위치
* 대상물건은 강원특별자치도 평창군 봉평면 무이리 소재 "무이2리 마을회관" 남서측 인근에 위치하며 본건 주위는 주택, 근린생활시설, 농경지 및 임야등이 혼재하는 지역임. * 본건까지 차량접근 가능하고 제반교통여건은 보통시됨. * 대체로 평탄한 부정형토지로서 3필 일단의 건부지로 이용중임. * 동측으로 아스팔트포장도로 소재함.
참고사항
* 일괄매각. * 제시외 건물(감정평가서상 ㄱ,ㄴ,ㄷ) 포함 * 지적경계 불분명 * 지상 제시외 "이동가능한 컨테이너"는 매각대상에서 제외 * 동측으로 아스팔트 포장도로 소재함
등기부 현황
건물
| 순위 | 접수일자 | 권리종류 | 권리자 | 채권금액 | 소멸여부 | 비고 |
|---|---|---|---|---|---|---|
| 1(갑1) | 1998-11-09 | 소유권보존 | 홍OO | 0 | ||
| 2(을6) | 2020-09-29 | 근저당 | 대OOO | 216,000,000 | 소멸 | 말소기준등기 |
| 3(갑6) | 2023-09-07 | 가압류 | 봉OOO | 20,541,257 | 소멸 | 2023카단21 |
| 4(갑7) | 2025-01-08 | 임의경매 | 대OOO | 165,229,164 | 소멸 | 2025타경35 |
관련 문서 (PDF)
클릭하면 원본 파일이 열립니다