목록으로
최종 업데이트: 2026-04-24 09:38
2025타경4407
청주지방법원 본원 6계(043-249-7306)
부동산
부동산임의경매
매각
진행중
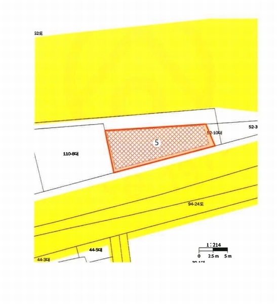
| 소재지 |
-
(충청북도 청주시 상당구 문화동 54-7)
|
|---|---|
| 물건종류 | 근린주택 |
| 면적 |
토지: 0.00㎡ (0평)
건물: 461.49㎡ (139.6평)
|
| 현재 위치 | 충청북도 청주시 상당구 문화동 54-7 |
| 소유자 / 채무자 | 조아라 / 조아라 |
| 채권자 | 케이씨유엔피엘대부(주) |
| 배당종기일 | 2025-12-01 |
감정가
319,769,560
최저가
223,838,000
보증금
22,383,800
진행 상태 / 매각 결과
매각
completed = false
매각허가결정
| 상태 코드 | 2 | 상태 텍스트 | 매각허가결정 |
|---|---|---|---|
| 매각가 | 260,000,000원 | 매각가율 | 0% |
| 입찰 수 | 4 | 매수인 | 최선자 |
| 차순위 입찰가 | 238,450,300원 | 매각허가 결정 | 매각허가결정 |
| 매각허가 결정일 | 2026-03-26 | 대금 지급기한 | - |
| 대금 지급상태 | - | 배당기일 | - |
| 배당 종결일 | - | 다음 확인 예정 | 2026-04-25 09:00 |
입찰 진행 내역
| 회차/구분 | 입찰기일 | 최저매각가격 | 결과 |
|---|---|---|---|
| 1차 (진행) | 2026-02-12 | 319,769,560 | 유찰 |
| 2차 (진행) | 2026-03-19 | 223,838,000 |
진행 메모
매각 : 260,000,000 원 (81.31%)
(입찰 4 명,매수인:최선자 / 차순위금액 238,450,300원)
매각결정기일 : 2026.03.26 - 매각허가결정
대금지급기한 : 2026.05.11
대금납부 2026.04.22 / 배당기일 2026.05.19
임차인 현황
| 임차인명 | 점유여부 | 전입/확정/배당 | 보증금 / 차임 | 예상배당액 | 대항력 |
|---|---|---|---|---|---|
| 이영희 | 주거용 4층 전체 |
전입: -
확정: - 배당: - |
0
월 500,000
|
0 | 없음 |
| 조규연 | 점포 |
전입: -
확정: - 배당: - |
0
월 0
|
0 | 없음 |
| 조시형 | 점포 |
전입: -
확정: - 배당: - |
0
월 0
|
0 | 없음 |
매각물건 현황
| 구분 | 순번 | 소재지 | 용도/구조/면적 | 감정가 | 비고 |
|---|---|---|---|---|---|
| 토지 | 토지 | 문화동 54-7 | 도시지역,일반상업지역,역사문화환경보존지역,교통광장,지구단위계획...도시지역,일반상업지역,역사문화환경보존지역,교통광장,지구단위계획구역,가축사육제한구역 / 대 102.8㎡ (31.1평) | 2,390,000 | 245,692,000원 |
| 건물 | 1 | 용담로 8 [문화동 54-7]철근콘크리트조 스라브 지붕 | 지하 / 점포 | 98 | 126,000원 |
| 2 | 1층 | 점포 | 90.25㎡(27.3평) / 162,000원 | 14,620,500 | * 사용승인:1983.10.15 |
| 3 | 2층 | 점포 | 90.25㎡(27.3평) / 162,000원 | 14,620,500 | * 사용승인:1983.10.15 |
| 4 | 3층 | 점포 | 90.25㎡(27.3평) / 162,000원 | 14,620,500 | * 사용승인:1983.10.15 |
| 5 | 4층 | 주택 | 90.25㎡(27.3평) / 198,000원 | 17,869,500 | * 사용승인:1983.10.15 |
| 6 | 5층 | 옥탑 | 17.51㎡(5.3평) / 108,000원 | 1,891,080 | * 사용승인:1983.10.15 |
현황 및 위치
* 본건은 충청북도 청주시 상당구 문화동 소재 ""충청북도청"" 남측 인근에 위치함. 본건 인근은 근린생활시설, 공동주택 등이 혼재된 일반상가지대로 주위환경은 양호함. * 본건까지 차량의 진출입이 가능하며 인근에 버스정류장이 소재하는 등 교통상황은 양호한 편임. * 본건은 인접토지와 등고평탄한 사다리형의 토지이며, 대지로 이용중임. * 본건 북측으로 왕복 6차로의 포장된 도로에 접하며, 남측으로 노폭 약 8미터 내외의 포장된 도로에 접함.
참고사항
* 일괄매각
등기부 현황
건물
| 순위 | 접수일자 | 권리종류 | 권리자 | 채권금액 | 소멸여부 | 비고 |
|---|---|---|---|---|---|---|
| 1(갑3) | 2012-11-22 | 소유권이전(매매) | 조OO | 0 | ||
| 2(을3) | 2012-11-22 | 근저당 | 케OOOOOOOOOOO | 273,000,000 | 소멸 | 말소기준등기확정채권양도전:청주서원신용협동조합 |
| 3(을6) | 2017-07-18 | 근저당 | 이OO | 200,000,000 | 소멸 | |
| 4(갑12) | 2023-05-26 | 가압류 | 충OOOOOOO | 35,000,000 | 소멸 | 2023카단51322 |
| 5(갑13) | 2024-05-02 | 가압류 | 소OOOOOOOOO | 7,834,581 | 소멸 | 2024카단52898 |
| 6(갑14) | 2024-11-15 | 압류 | 국OOOOOOO | 0 | 소멸 | |
| 7(갑15) | 2025-09-01 | 임의경매 | 케OOOOOOOOOOO | 224,903,434 | 소멸 | 2025타경4407 |
관련 문서 (PDF)
클릭하면 원본 파일이 열립니다