목록으로
최종 업데이트: 2026-04-22 13:21
2025타경502569
대전지방법원 본원 4계(042-470-1804)
부동산
부동산강제경매
유찰
진행중
| 소재지 |
-
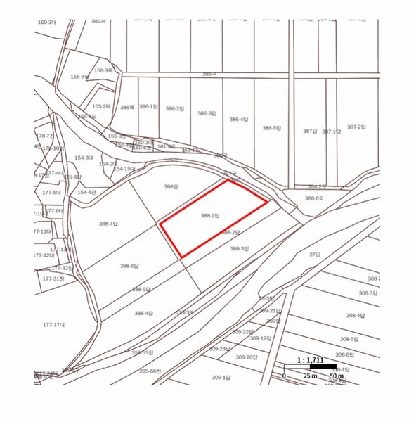
(세종특별자치시 전동면 보덕리 388-1)
|
|---|---|
| 물건종류 | 농지 |
| 면적 |
토지: 0.00㎡ (0평)
건물: 0.00㎡ (0평)
|
| 현재 위치 | 세종특별자치시 전동면 보덕리 388-1 |
| 소유자 / 채무자 | 오영진외 1명 / 오영진외 1명 |
| 채권자 | 윤성분 |
| 배당종기일 | 2025-09-11 |
감정가
601,825,000
최저가
206,427,000
보증금
20,642,700
입찰 진행 내역
| 회차/구분 | 입찰기일 | 최저매각가격 | 결과 |
|---|---|---|---|
| 1차 (진행) | 2026-01-15 | 601,825,000 | 유찰 |
| 2차 (진행) | 2026-02-12 | 421,278,000 | 유찰 |
| 3차 (진행) | 2026-03-19 | 294,895,000 | 유찰 |
| 4차 (진행) | 2026-04-22 | 206,427,000 |
매각물건 현황
| 구분 | 순번 | 소재지 | 용도/구조/면적 | 감정가 | 비고 |
|---|---|---|---|---|---|
| 토지 | 토지 | 보덕리 388-1 | 농업진흥구역,농림지역,가축사육제한구역 / 답 3325㎡ (1005.81평) | 181,000 | 601,825,000원 |
현황 및 위치
* 본건은 세종특별자치시 전동면 보덕리 소재 ""보덕1리마을회관"" 남측 인근에 소재하는 토지 로서, 본건 주위는 농경지역으로서 농경지 및 농가주택이 주를 이루고 있으며, 근린생활시설 등이 일부 혼재 되어 있는 등 주위환경은 보통시됨. * 본건가지 대체로 차량 접근 가능하며, 인근에 시내버스정류장이 소재하는 등 대중교통상황은 보통시됨. * 사다리형, 인접 포장도로 대비 저지이나, 평탄하게 조성된 ""답""으로 이용중임. * 본건 북동측으로 포장도로와 인접하고 있음.
전문가 코멘트
☞ [농지취득자격증명] 농지를 취득하려는 자는 신청서와 농업경영계획서(주말·체험영농계획서)를 작성하여 농지 소재지를 관할하는 시·구·읍·면장에게서 농지취득자격증명원을 발급받아 매각결정기일 전까지 법원에 제출하여야 하고 미제출 시 보증금이 몰수될 수 있으니 입찰 전 발급 가능 여부를 확인하시기 바랍니다. (정부24시를 통하여 발급 신청도 가능합니다.) ※ 2021.08.17. 개정된 농지법에 따라 농업진흥지역 내 농지의 주말ㆍ체험영농목적 취득을 제한(제6조제2항제3호)하고 있으니 이점 참고하시고 입찰에 참여하시기 바랍니다. ※ 2022.05.18.부터 농지취득 자격심사가 대폭 강화됨으로 증빙서류 추가 및 발급 민원처리 기간이 연장되었으므로 주의하시기 바라며, 농지위원회 심의를 거쳐 농지취득자격증명 발급 여부를 판단하는 경우에는 14일 이내에 발급하도록 되어 있으므로 입찰 전에 미리 해당 행정관서에 농지취득자격증명의 신청도 가능함을 참고하시기 바랍니다.
등기부 현황
건물
| 순위 | 접수일자 | 권리종류 | 권리자 | 채권금액 | 소멸여부 | 비고 |
|---|---|---|---|---|---|---|
| 1(갑2) | 2021-05-27 | 소유권이전(증여) | 오OOOOOO | 0 | 각 1/2 | |
| 2(을3) | 2022-03-03 | 오형근지분전부근저당 | 국OOOOOOOO | 52,000,000 | 소멸 | 말소기준등기 |
| 3(갑3) | 2023-07-24 | 오필영지분가처분 | 윤OO | 0 | 소멸 | 사해행위취소로 인한원상회복청구권 |
| 4(갑4) | 2023-07-24 | 오형근지분가압류 | 윤OO | 2,708,093,178 | 소멸 | |
| 5(갑5) | 2025-05-29 | 오필영지분전부이전 | 오OO | 0 | 사해행위취소, 1/2 | |
| 6(갑6) | 2025-06-09 | 강제경매 | 윤OO | 540,000,000 | 소멸 | 2025타경502569, 윤성분 가압류의 본 압류로의 이행 |
관련 문서 (PDF)
클릭하면 원본 파일이 열립니다