목록으로
최종 업데이트: 2026-04-28 05:06
2025타경15615
대전지방법원 홍성지원 2계(041-640-3233)
부동산
부동산강제경매
취하/변경
진행중
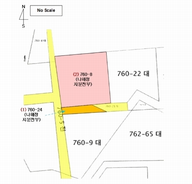
| 소재지 |
-
(충청남도 서천군 장항읍 송림리 760-24)
|
|---|---|
| 물건종류 | 도로 |
| 면적 |
토지: 0.00㎡ (0평)
건물: 0.00㎡ (0평)
|
| 현재 위치 | 충청남도 서천군 장항읍 송림리 760-24 |
| 소유자 / 채무자 | 나해정 / 나해정 |
| 채권자 | 권홍주 |
| 배당종기일 | 2025-06-16 |
감정가
70,803,980
최저가
49,563,000
보증금
4,956,300
입찰 진행 내역
| 회차/구분 | 입찰기일 | 최저매각가격 | 결과 |
|---|---|---|---|
| 1차 (진행) | 2026-03-10 | 70,803,980 | 유찰 |
| (진행) | 2026-04-14 | 49,563,000 | 변경 |
진행 메모
본사건은 변경 되었으며 현재 매각기일이 지정되지 않았습니다.
매각물건 현황
| 구분 | 순번 | 소재지 | 용도/구조/면적 | 감정가 | 비고 |
|---|---|---|---|---|---|
| 토지 | 토지 | 1 | 송림리 760-24 / 가축사육제한구역,성장관리계획구역,자연녹지지역 | 33 | 106,000원(35,100원) |
| 토지 | 2 | 송림리 760-8 | 가축사육제한구역,성장관리계획구역,자연녹지지역 / 대 208㎡ (62.92평) | 321,000 | 66,768,000원 |
| 제시외수목 | 송림리 760-8 | 향나무, 소나무, 꽝꽝나무 등 / | 0 | 1,563,000원 |
현황 및 위치
* 본건은 충청남도 서천군 장항읍 송림리 소재 ""송림2리 마을회관"" 서측 인근에 위치하며, 주위는 단독주택, 펜션, 근린생활시설 등이 혼재하는 지역으로서 제반 주위환경은 보통임. * 본건까지 차량 접근이 가능하며, 인근에 버스정류장이 소재하는 등 제반 교통상황은 보통임. * 1) : 부정형의 평지로서 현황 ""도로""임. 2) : 정방형의 평지로서 현황 ""주상나지"" 상태임. * 1) : 현황 도로임. 2) : 본건 서측으로 폭 약 3 ~ 4m의 포장도로 및 남측으로 폭 약 4m내외의 도로[토1]와 접함.
참고사항
* 일괄매각 * 지분매각임 * 제시외 수목(a) 매각물건에 포함 * 토2) 지상에 이동식 천막(1동)이 소재하나, 이는 이동 및 철거가 용이한 구조물로서 이에 구애됨이 토지를 정상평가하였음.
등기부 현황
건물
| 순위 | 접수일자 | 권리종류 | 권리자 | 채권금액 | 소멸여부 | 비고 |
|---|---|---|---|---|---|---|
| 1(갑7) | 2017-05-10 | 소유권이전(매매) | 나OOOOO | 0 | 나해정 이광년 박종진 각 1/3 | |
| 2(갑8) | 2025-03-28 | 나해정지분강제경매 | 권OO | 70,598,904 | 소멸 | 말소기준등기2025타경15615 |
관련 문서 (PDF)
클릭하면 원본 파일이 열립니다