목록으로
최종 업데이트: 2026-04-22 13:21
2025타경489
창원지방법원 통영지원 6계(055-640-8594)
부동산
임의경매(공유물분할을위한경매(부동산))
유찰
진행중
| 소재지 |
-
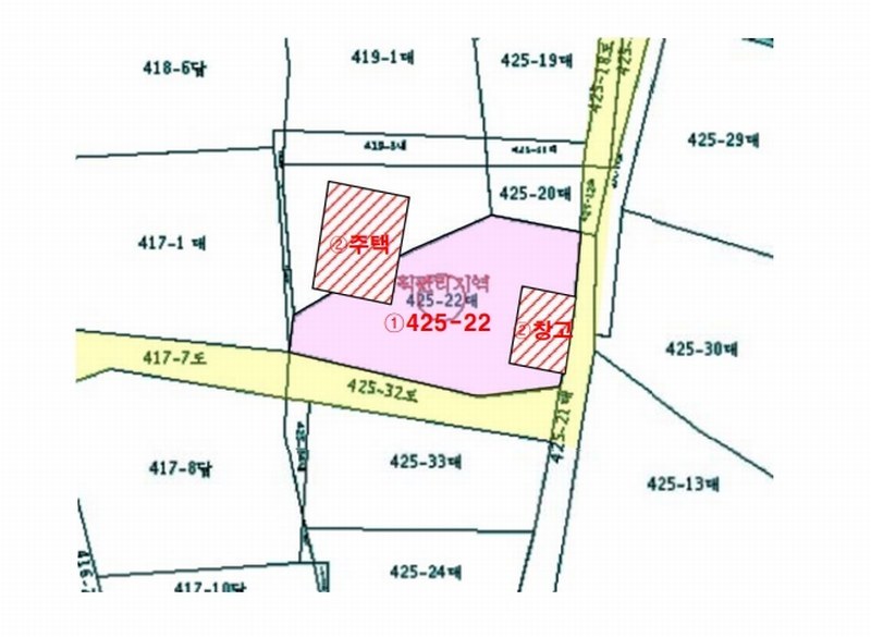
(경상남도 고성군 상리면 척번정리 425-22)
|
|---|---|
| 물건종류 | 주택 |
| 면적 |
토지: 0.00㎡ (0평)
건물: 78.20㎡ (23.66평)
|
| 현재 위치 | 경상남도 고성군 상리면 척번정리 425-22 |
| 소유자 / 채무자 | 이을용 외 5명 / 이을용 외 4명 |
| 채권자 | 최말순 외 1명 |
| 배당종기일 | 2025-08-14 |
감정가
57,665,200
최저가
40,366,000
보증금
4,036,600
입찰 진행 내역
| 회차/구분 | 입찰기일 | 최저매각가격 | 결과 |
|---|---|---|---|
| 1차 (진행) | 2026-03-16 | 57,665,200 | 유찰 |
| 2차 (진행) | 2026-04-20 | 40,366,000 | |
| 3차 (진행) | 2026-06-01 | 28,256,000 | |
| 4차 (진행) | 2026-08-10 | 19,779,000 |
임차인 현황
| 임차인명 | 점유여부 | 전입/확정/배당 | 보증금 / 차임 | 예상배당액 | 대항력 |
|---|---|---|---|---|---|
| 고영미 | 주거용 전부 |
전입: 2009-04-21
확정: 2025-06-27 배당: 2025-07-01 |
160,000,000
월 0
|
0 | 있음 |
매각물건 현황
| 구분 | 순번 | 소재지 | 용도/구조/면적 | 감정가 | 비고 |
|---|---|---|---|---|---|
| 토지 | 토지 | 척번정리 425-22 | 가축사육제한구역,자연취락지구,계획관리지역,절대보호구역,상대보호구역 / 대 261㎡ (78.95평) | 147,000 | 38,367,000원 |
| 건물 | 1 | 척번정6길 13 [척번정리 425-22]블록조 세멘기와지붕 등 1.블록조 세멘기와지붕, 2.블록조 스레트지붕 | 단층 / 단독주택 | 51 | 311,000원 |
| 2 | 단층 | 창고 | 27㎡(8.17평) / 125,000원 | 3,375,000 | * 사용승인:1978.00.00* 공부상 10㎡ |
현황 및 위치
* 본건은 경상남도 고성군 상리면 척번정리 소재"상리초등학교"동측 인근에 위치하며, 부근은 단독주택, 학교, 농경지 등이 혼재하며, 제반 주위환경은 보통임. * 본건 및 인근까지 차량접근 가능하며, 제반 교통사정은 보통임. * 사다리형의 토지로서, 건부지 등으로 이용중임. * 동측 및 남측으로 도로가 개설되어 있음.
참고사항
* 일괄매각. * 건1,2] 현황상 토1 및 인접지(419-2번지) 양 지상에 소재함. 창고는 공부상 면적(10.0㎡)과 사정(실측)면적(27.0㎡)이 상이함. 사정(실측)면적기준으로 평가함. * 토1] 지상 소재 수목 및 기타 잡목등은 토지에 포함 평가. 지적경계가 불분명한 바, 명확한 경계확정은 측량 요함.
등기부 현황
건물
| 순위 | 접수일자 | 권리종류 | 권리자 | 채권금액 | 소멸여부 | 비고 |
|---|---|---|---|---|---|---|
| 1(갑4) | 2024-08-23 | 소유권이전(상속) | 최OOOOO | 0 | 최말순 3/13, 이을용 이영수 이삼수 이영숙 이성용 각 2/13 | |
| 2(갑5) | 2024-08-23 | 이성용지분전부이전 | 최OO | 0 | 증여, 2/13 | |
| 3(갑6) | 2025-06-04 | 임의경매 | 최OO | 0 | 소멸 | 말소기준등기2025타경489 |
| 4(갑7) | 2025-08-04 | 이삼수지분강제경매 | 교OOOOOOOO | 17,304,583 | 소멸 | 2025타경21755 |
관련 문서 (PDF)
클릭하면 원본 파일이 열립니다