목록으로
최종 업데이트: 2026-04-28 08:06
2024타경64927
부산지방법원 본원 1계(051-590-1812)
부동산
부동산임의경매
매각
진행중
| 소재지 |
-
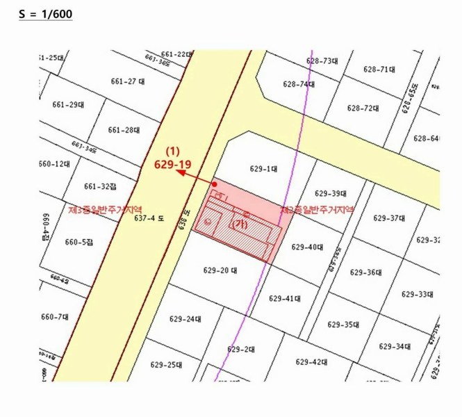
(부산광역시 동래구 안락동 629-19)
|
|---|---|
| 물건종류 | 근린주택 |
| 면적 |
토지: 0.00㎡ (0평)
건물: 514.15㎡ (155.53평)
|
| 현재 위치 | 부산광역시 동래구 안락동 629-19 |
| 소유자 / 채무자 | 조은화 외1명 / 조은화 |
| 채권자 | 엠씨아이대부(주)(양도전 연산로터리새마을금고) |
| 배당종기일 | 2025-01-16 |
감정가
1,713,721,200
최저가
587,806,371
보증금
58,780,700
진행 상태 / 매각 결과
매각
completed = false
매각허가결정
| 상태 코드 | 2 | 상태 텍스트 | 매각허가결정 |
|---|---|---|---|
| 매각가 | 724,400,000원 | 매각가율 | 0% |
| 입찰 수 | 4 | 매수인 | 부산시 진구 김강훈 외 1인 |
| 차순위 입찰가 | 605,500,000원 | 매각허가 결정 | 매각허가결정 |
| 매각허가 결정일 | 2026-04-21 | 대금 지급기한 | - |
| 대금 지급상태 | - | 배당기일 | - |
| 배당 종결일 | - | 다음 확인 예정 | 2026-04-29 09:00 |
입찰 진행 내역
| 회차/구분 | 입찰기일 | 최저매각가격 | 결과 |
|---|---|---|---|
| 1차 (진행) | 2025-12-30 | 1,713,721,200 | 유찰 |
| 2차 (진행) | 2026-02-03 | 1,199,604,840 | 유찰 |
| 3차 (진행) | 2026-03-10 | 839,723,388 | 유찰 |
| 4차 (진행) | 2026-04-14 | 587,806,371 |
진행 메모
매각 : 724,400,000 원 (42.27%)
(입찰 4 명,매수인:부산시 진구 김강훈 외 1인 / 차순위금액 605,500,000원)
매각결정기일 : 2026.04.21 - 매각허가결정
임차인 현황
| 임차인명 | 점유여부 | 전입/확정/배당 | 보증금 / 차임 | 예상배당액 | 대항력 |
|---|---|---|---|---|---|
| 강성화 | 점포 1층 전부 |
전입: -
확정: 2024-11-15 배당: 2024-12-30 |
20,000,000
월 1,250,000
|
0 | 있음 |
매각물건 현황
| 구분 | 순번 | 소재지 | 용도/구조/면적 | 감정가 | 비고 |
|---|---|---|---|---|---|
| 토지 | 토지 | 안락동 629-19 | 제2종일반주거지역,상대보호구역 / 대 255㎡ (77.14평) | 5,800,000 | 1,479,000,000원 |
| 건물 | 1 | 충렬대로410번길 61 [안락동 629-19 내제조표84-247호]철근콩크리트조및 벽돌조 슬래브지붕 | 1층 / 근린생활시설(상가) | 148 | 400,000원 |
| 2 | 2층 | 근린생활시설(공중목욕탕) | 148.77㎡(45평) / 600,000원 | 89,262,000 | * 사용승인:1984.02.10* 조표84-247내조표제84-247호 |
| 3 | 3층 | 단독주택 | 98.25㎡(29.72평) / 520,000원 | 51,090,000 | * 사용승인:1984.02.10* 조표84-247내조표제84-247호 |
| 4 | 지하 | 보일러실 및 대피소 | 81.57㎡(24.67평) / 260,000원 | 21,208,200 | * 사용승인:1984.02.10* 조표84-247내조표제84-247호 |
| 제시외건물 | 1 | 충렬대로410번길 61 [안락동 629-19 내제조표84-247호]블록조 슬래브지붕 등 1.블록조 슬래브지붕, 2.벽체이용 및 블록조 슬래브지붕 및 강판지붕, 3.벽체이용및PVC샷시조 판넬지붕 | 단층 / 지하입구 | 55 | 340,000원 |
| 2 | 단층 | 다용도실 | 23.94㎡(7.24평) / 400,000원 | 9,576,000 | 매각포함* 3층소재 |
| 3 | 단층 | 베란다 | 7.3㎡(2.21평) / 300,000원 | 2,190,000 | 매각포함* 3층소재 |
현황 및 위치
* 본건은 부산광역시 동래구 안락동 소재 동해선 "안락역" 남동측 인근에 위치하고 있으며, 인근은 단독주택, 공동주택 및 근린생활시설 등으로 형성되어 있어, 제반 주위환경은 보통 시 됨. * 본건까지 차량 접근이 가능하며, 본건 북서측 인근에 동해선 "안락역", 남측 안남로에 일반 등 버스 정류장이 소재하여 제반 교통상황은 보통시 됨. * 인접지 및 인접도로와 대체로 등고평탄하게 조성된 세장형의 토지로서, 주상용 건부지로서 이용 중임. * 본건 북서측으로 노폭 약 16미터 내외의 도로와 접함.
참고사항
* 일괄매각. * 제시외 건물 포함. * 건물) 1층 현황 근린생활시설(상가), 2층 근린생활시설(공중목욕탕), 3층 단독주택, 지하1층 보일러실 및 대피소 임.
등기부 현황
건물
| 순위 | 접수일자 | 권리종류 | 권리자 | 채권금액 | 소멸여부 | 비고 |
|---|---|---|---|---|---|---|
| 1(갑1) | 2000-01-25 | 소유권이전(상속) | 이OOOOO | 0 | 이귀선 3/7, 이동훈 이성훈 각2/7 | |
| 2(갑2) | 2011-09-29 | 갑구1번이귀선,이동훈,이성훈지분중일부이전 | 조OO | 0 | 매매, 1/2 | |
| 3(갑3) | 2011-09-29 | 갑구1번이귀선,이동훈,이성훈지분전부이전 | 김OO | 0 | 매매, 1/2 | |
| 4(을4) | 2013-12-18 | 근저당 | 엠OOOOOOOO | 360,000,000 | 소멸 | 말소기준등기확정채권양도전:연산로터리새마을금고 |
| 5(을6) | 2018-08-06 | 근저당 | 엠OOOOOOOO | 156,000,000 | 소멸 | |
| 6(을7) | 2020-03-27 | 근저당 | 엠OOOOOOOO | 130,000,000 | 소멸 | |
| 7(을8) | 2021-01-12 | 근저당 | 엠OOOOOOOO | 104,000,000 | 소멸 | |
| 8(을9) | 2022-01-11 | 근저당 | 엠OOOOOOOO | 195,000,000 | 소멸 | |
| 9(갑4) | 2024-11-04 | 임의경매 | 엠OOOOOOOO | 306,419,020 | 소멸 | 2024타경64927 |
| 10(갑5) | 2024-12-05 | 조은화지분가압류 | 부OOOOOOO | 31,369,006 | 소멸 | 2024카단56405 |
관련 문서 (PDF)
클릭하면 원본 파일이 열립니다