목록으로
최종 업데이트: 2026-04-28 08:10
2025타경20092
부산지방법원 본원 1계(051-590-1812)
부동산
부동산강제경매
매각
진행중
| 소재지 |
-
(부산광역시 영도구 청학동 268-14)
|
|---|---|
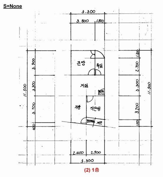
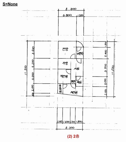
| 물건종류 | 주택 |
| 면적 |
토지: 0.00㎡ (0평)
건물: 58.88㎡ (17.81평)
|
| 현재 위치 | 부산광역시 영도구 청학동 268-14 |
| 소유자 / 채무자 | 이정록 / 이정록 |
| 채권자 | (주)한빛자산관리대부 |
| 배당종기일 | 2025-05-20 |
감정가
46,673,400
최저가
16,008,976
보증금
1,600,900
진행 상태 / 매각 결과
매각
completed = false
매각허가결정
| 상태 코드 | 2 | 상태 텍스트 | 매각허가결정 |
|---|---|---|---|
| 매각가 | 21,840,000원 | 매각가율 | 0% |
| 입찰 수 | 2 | 매수인 | 부산시 영도구 양숙자 (공유자우선매수 |
| 차순위 입찰가 | 18,200,000원 | 매각허가 결정 | 매각허가결정 |
| 매각허가 결정일 | 2026-04-21 | 대금 지급기한 | - |
| 대금 지급상태 | - | 배당기일 | - |
| 배당 종결일 | - | 다음 확인 예정 | 2026-04-29 09:00 |
입찰 진행 내역
| 회차/구분 | 입찰기일 | 최저매각가격 | 결과 |
|---|---|---|---|
| 1차 (진행) | 2025-12-30 | 46,673,400 | 유찰 |
| 2차 (진행) | 2026-02-03 | 32,671,380 | 유찰 |
| 3차 (진행) | 2026-03-10 | 22,869,966 | 유찰 |
| 4차 (진행) | 2026-04-14 | 16,008,976 |
진행 메모
매각 : 21,840,000 원 (46.79%)
(입찰 2 명,매수인:부산시 영도구 양숙자 (공유자우선매수) / 차순위금액 18,200,000원)
매각결정기일 : 2026.04.21 - 매각허가결정
임차인 현황
| 임차인명 | 점유여부 | 전입/확정/배당 | 보증금 / 차임 | 예상배당액 | 대항력 |
|---|---|---|---|---|---|
| 양경호 | 주거용 2층 |
전입: 2019-02-08
확정: - 배당: 2025-03-31 |
5,000,000
월 180,000
|
0 | 있음 |
매각물건 현황
| 구분 | 순번 | 소재지 | 용도/구조/면적 | 감정가 | 비고 |
|---|---|---|---|---|---|
| 토지 | 토지 | 청학동 268-14 | 가축사육제한구역,제2종일반주거지역,상대보호구역 / 대 34㎡ (10.29평) | 1,060,000 | 36,040,000원 |
| 건물 | 1 | 청학북로16번길 10 [청학동 268-14]벽돌조 슬래브지붕 | 1층 / 단독주택 | 825 | 316,000원 |
| 2 | 2층 | 단독주택 | 16.825㎡(5.09평) / 316,000원 | 5,316,700 | * 사용승인:1994.07.08☞ 전체면적 58.88㎡중 공유자 이정록 지분 7분의 2 전부 매각 |
현황 및 위치
* 본건은 부산광역시 영도구 청학동 소재 "청학초등학교" 북서측 인근에 소재하며 부근은 단독주택 등으로 형성된 주택지대로서 주위환경 보통임. * 본건 인근까지 차량접근 가능하며, 인근에 시내버스정류장 소재하는 등 제반 교통상황 보통임. * 북하향 경사지대 내 부정형의 토지로서, 단독주택 건부지로 이용중임. * 본건 동측으로 노폭 약 2~2.5 미터 폭의 계단도로에 접하고 있음.
참고사항
* 일괄매각. 지분매각. * 본건 토지 일부 도로공제 면적으로서개별요인 비교시 이를 감안하여 감정평가 하였음
전문가 코멘트
☞ 본건은 소액임차인의 최우선변제금 지급기준이 되는 담보물권이 없어 배당시점을 기준으로 소액임차인을 판단하였으니 참고하시기 바랍니다.
등기부 현황
건물
| 순위 | 접수일자 | 권리종류 | 권리자 | 채권금액 | 소멸여부 | 비고 |
|---|---|---|---|---|---|---|
| 1(갑4) | 2024-09-27 | 소유권일부이전 | 이OO | 0 | 사해행위취소, 2/7 | |
| 2(갑5) | 2025-01-09 | 이정록지분강제경매 | (OOOOOOOOOO | 63,266,840 | 소멸 | 말소기준등기2025타경20092 |
| 3(갑7) | 2025-05-13 | 이정록지분압류 | 의OOOOOOOO | 0 | 소멸 |
관련 문서 (PDF)
클릭하면 원본 파일이 열립니다