목록으로
최종 업데이트: 2026-04-22 13:21
2025타경101807
부산지방법원 서부지원 3계(051-812-1263)
부동산
부동산임의경매
유찰
진행중
| 소재지 |
-
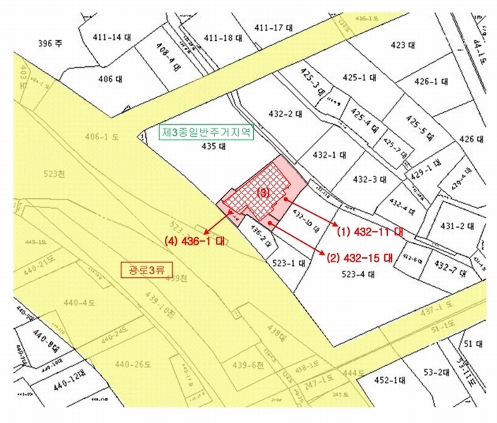
(부산광역시 서구 동대신동3가 432-11)
|
|---|---|
| 물건종류 | 주택 |
| 면적 |
토지: 0.00㎡ (0평)
건물: 116.20㎡ (35.15평)
|
| 현재 위치 | 부산광역시 서구 동대신동3가 432-11 |
| 소유자 / 채무자 | 망 서기진의 상속인 서준원 외 5명 / 망 서기진의 상속인 서준원 외 5명 |
| 채권자 | 한국주택금융공사 |
| 배당종기일 | 2025-11-27 |
감정가
682,956,000
최저가
334,648,000
보증금
33,464,800
입찰 진행 내역
| 회차/구분 | 입찰기일 | 최저매각가격 | 결과 |
|---|---|---|---|
| 1차 (진행) | 2026-03-10 | 682,956,000 | 유찰 |
| 2차 (진행) | 2026-04-14 | 478,069,000 | 유찰 |
| 3차 (진행) | 2026-05-19 | 334,648,000 | |
| 4차 (진행) | 2026-06-23 | 234,254,000 |
임차인 현황
| 임차인명 | 점유여부 | 전입/확정/배당 | 보증금 / 차임 | 예상배당액 | 대항력 |
|---|---|---|---|---|---|
| CUICHENGGUO | 주거용 |
전입: 2021-06-22
확정: - 배당: - |
0
월 0
|
0 | 없음 |
| CUIYONGJIAN | 주거용 |
전입: 2020-12-03
확정: - 배당: - |
0
월 0
|
0 | 없음 |
| JINSHANHUA | 주거용 |
전입: 2023-10-12
확정: - 배당: - |
0
월 0
|
0 | 없음 |
| 김의남(JINYINAN) | 주거용 1층 전부 |
전입: 2020-11-20
확정: - 배당: 2025-11-05 |
40,000,000
월 100,000
|
0 | 없음 |
| 서미옥 | 점포 |
전입: -
확정: - 배당: - |
0
월 0
|
0 | 없음 |
| 서창원 | 주거용 |
전입: 2020-11-30
확정: - 배당: - |
0
월 0
|
0 | 없음 |
매각물건 현황
| 구분 | 순번 | 소재지 | 용도/구조/면적 | 감정가 | 비고 |
|---|---|---|---|---|---|
| 토지 | 토지 | 1 | 동대신동3가 432-11 / 상대보호구역,제3종일반주거지역 | 98 | 4,540,000원(2,326,000원) |
| 토지 | 2 | 동대신동3가 432-15 | 상대보호구역,제3종일반주거지역 / 대 33㎡ (9.98평) | 4,540,000 | 149,820,000원 |
| 토지 | 3 | 동대신동3가 436-1 | 상대보호구역,제3종일반주거지역 / 대 13.3㎡ (4.02평) | 4,540,000 | 60,382,000원 |
| 건물 | 1 | 보수대로 212-1 [동대신동3가 432-11외 1필지]벽돌조 슬래브지붕 | 1층 / 단독주택 | 42 | 220,000원 |
| 2 | 2층 | 단독주택 | 74.2㎡(22.45평) / 220,000원 | 16,324,000 | * 사용승인:1986.07.24 |
현황 및 위치
* 본건은 부산광역시 서구 동대신동3가 소재 "동신초등학교" 남동측 인근에 위치하며, 주변은 단독주택 · 공동주택 · 근린생활시설 등으로 형성되어 있음. * 본건까지 차량접근 가능하며, 인근에 시내버스정류장 및 부산도시철도 1호선 ""동대신역"" 등이 소재함. * 서하향의 경사지대 내 조성된 자루형 토지로서, 주상용 건부지로 이용중임. * 본건 남서측으로 노폭 약 40미터 내외의 도로(보수대로)에 접함.
참고사항
* 일괄매각. * 공부상 주택으로 이용중임. * 본건은 서하향 경사지대에 위치하여 후면 동측 골목에서 보면 2층이 1층으로 보임(감정평가서 참조). ☞현황서상 내용:건물 외벽에 `대신체형관리` 간판이 있었음
등기부 현황
건물
| 순위 | 접수일자 | 권리종류 | 권리자 | 채권금액 | 소멸여부 | 비고 |
|---|---|---|---|---|---|---|
| 1(갑2) | 2003-03-26 | 소유권이전(매매) | 서OO | 0 | ||
| 2(을3) | 2012-03-05 | 근저당 | 한OOOOOOOOOOOOOOO | 528,000,000 | 소멸 | 말소기준등기 |
| 3(갑3) | 2025-08-26 | 소유권이전(상속) | 서OOOOO | 0 | 서준원,서창원,서영원,서성원,서대원 각 1/5 | |
| 4(갑4) | 2025-09-04 | 임의경매 | 한OOOOOOOOOOOOOO | 294,936,463 | 소멸 | 2025타경101807 |
관련 문서 (PDF)
클릭하면 원본 파일이 열립니다