목록으로
최종 업데이트: 2026-04-22 13:21
2024타경113925
창원지방법원 본원 8계(055-239-2118)
부동산
부동산강제경매
결과 대기
진행중
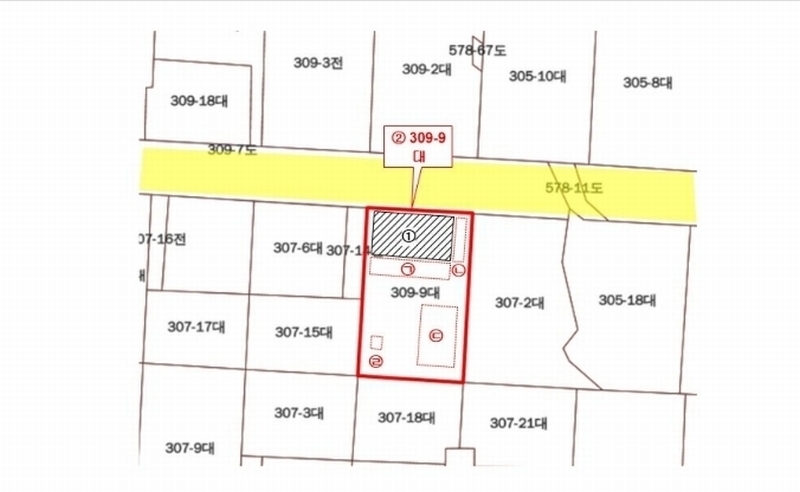
| 소재지 |
-
(경상남도 창원시 진해구 이동 309-9)
|
|---|---|
| 물건종류 | 주택 |
| 면적 |
토지: 0.00㎡ (0평)
건물: 42.84㎡ (12.96평)
|
| 현재 위치 | 경상남도 창원시 진해구 이동 309-9 |
| 소유자 / 채무자 | 조해권 / 조해권 |
| 채권자 | 조윤옥,조국권 |
| 배당종기일 | 2025-01-23 |
감정가
57,538,000
최저가
13,814,500
보증금
1,381,500
입찰 진행 내역
| 회차/구분 | 입찰기일 | 최저매각가격 | 결과 |
|---|---|---|---|
| 1차 (진행) | 2025-12-02 | 57,538,000 | 유찰 |
| 2차 (진행) | 2026-01-13 | 40,276,000 | 유찰 |
| 3차 (진행) | 2026-02-24 | 28,193,000 | 유찰 |
| 4차 (진행) | 2026-03-31 | 19,735,000 | 유찰 |
| (진행) | 2026-05-12 | 13,814,500 | 미진행 |
매각물건 현황
| 구분 | 순번 | 소재지 | 용도/구조/면적 | 감정가 | 비고 |
|---|---|---|---|---|---|
| 토지 | 토지 | 이동 309-9 | 지원항공작전기지,비행안전제4구역(지원),도시지역,제2종일반주거지역...지원항공작전기지,비행안전제4구역(지원),도시지역,제2종일반주거지역,가축사육제한구역,상대보호구역 / 대 41.6㎡ (12.58평) | 1,200,000 | 49,920,000원 |
| 건물 | 해원로8번길 20-1 [이동 309-9]시멘트블록조 스레트지붕 | 단층 | 단독주택 / 8.568㎡(2.59평) | 250,000 | 2,142,000원 |
| 제시외건물 | 1 | 해원로8번길 20-1 [이동 309-9]목조및 철파이프조 스레트지붕 등 1.목조및 철파이프조 스레트지붕, 2.벽체이용 블록조 스레트지붕, 3.목조 스레트지붕, 4.블록조 스레트지붕 | 단층 / 주택일부및가추 | 26 | 70,000원 |
| 2 | 단층 | 창고 | 12㎡(3.63평) / 50,000원 | 600,000 | 매각포함 |
| 3 | 단층 | 창고 | 35㎡(10.59평) / 80,000원 | 2,800,000 | 매각포함 |
| 4 | 단층 | 화장실 | 2㎡(0.61평) / 100,000원 | 200,000 | 매각포함 |
현황 및 위치
* 본건은 경상남도 창원시 진해구 석동 소재 "동부초등학교" 남서측 인근에 위치하며, 주위는 단독 및 공동주택 등이 소재하여 제반 주위환경은 보통임. * 본건까지 차량접근 가능하며 제반 교통상황은 보통임. * 세장형 평지로서, 주거용 건부지로 이용중임. * 븍측으로 노폭 약 5m 내외의 포장도로가 소재함.
참고사항
* 일괄매각. 제시외 건물(1-1 내지 1-4) 매각에 포함. * 공유 지분 매각임 * 본건 지상에 소재하는 정원수, 바닥포장 등은 토지와 일체로 거래되는 관행에 따라 토지가격에 포함하여 감정평가하였으니 참고하시기 바람. ☞현황서상 내용 : 제시외 (ㄱ)조적조 슬레트지붕 단층 화장실, (ㄴ)목조 슬레트지붕 단층 창고, (ㄷ)종물 및 부합물 소재함.
등기부 현황
건물
| 순위 | 접수일자 | 권리종류 | 권리자 | 채권금액 | 소멸여부 | 비고 |
|---|---|---|---|---|---|---|
| 1(갑2) | 2021-06-25 | 소유권이전(상속) | 조OOOOO | 0 | 조해권 1/5 | |
| 2(갑10) | 2024-10-22 | 조해권지분강제경매 | 조OOOOOO | 44,970,980 | 소멸 | 말소기준등기2024타경113925 |
관련 문서 (PDF)
클릭하면 원본 파일이 열립니다