목록으로
최종 업데이트: 2026-04-24 15:25
2023타경28514
창원지방법원 통영지원 1계(055-640-8500)
부동산
부동산임의경매
취하/변경
진행중
| 소재지 |
-
(경상남도 거제시 능포동 489-3)
|
|---|---|
| 물건종류 | 근린주택 |
| 면적 |
토지: 0.00㎡ (0평)
건물: 198.15㎡ (59.94평)
|
| 현재 위치 | 경상남도 거제시 능포동 489-3 |
| 소유자 / 채무자 | 임○○ / 임○○ |
| 채권자 | 에프비케이엔2403유동화전문 유한회사(양도전 경남은행) |
| 배당종기일 | 2023-12-06 |
감정가
4,136,241,050
최저가
1,185,943,000
보증금
118,594,300
입찰 진행 내역
| 회차/구분 | 입찰기일 | 최저매각가격 | 결과 |
|---|---|---|---|
| (진행) | 2024-12-02 | 4,136,241,050 | 변경 |
| 1차 (진행) | 2025-02-17 | 4,136,241,050 | 유찰 |
| 2차 (진행) | 2025-03-24 | 3,308,993,000 | 유찰 |
| 3차 (진행) | 2025-04-28 | 2,647,194,000 | 유찰 |
| (진행) | 2025-06-09 | 2,117,755,000 | 변경 |
| 4차 (진행) | 2025-08-25 | 2,117,755,000 | 유찰 |
| 5차 (진행) | 2025-10-13 | 1,694,204,000 | 매각 |
| 6차 (진행) | 2026-01-26 | 1,694,204,000 | 유찰 |
| (진행) | 2026-03-23 | 1,185,943,000 | 취하 |
진행 메모
매각 2,110,000,000원(51.01%) / 1명 / 미납
본사건은 취하(으)로 경매절차가 종결되었습니다.
임차인 현황
| 임차인명 | 점유여부 | 전입/확정/배당 | 보증금 / 차임 | 예상배당액 | 대항력 |
|---|---|---|---|---|---|
| (주)씨씨지 | 점포 토2 |
전입: -
확정: - 배당: - |
2,500,000
월 100,000
|
0 | 없음 |
| 경원여객자동차(주) | 점포 토2~5 |
전입: -
확정: - 배당: - |
180,000,000
월 17,000,000
|
0 | 없음 |
| 최○○ | 점포 토2 |
전입: -
확정: - 배당: - |
30,000,000
월 20,000,000
|
0 | - |
매각물건 현황
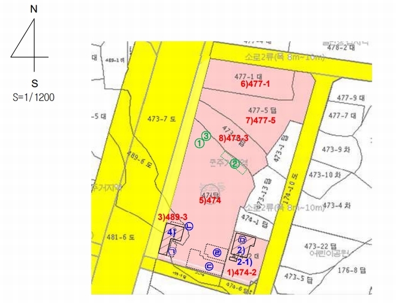
| 구분 | 순번 | 소재지 | 용도/구조/면적 | 감정가 | 비고 |
|---|---|---|---|---|---|
| 토지 | 토지 | 1 | 능포동 489-3능○○ / 가축사육제한구역,준주거지역,상대보호구역 | 181 | 1,110,000원(539,100원) |
| 토지 | 2 | 능포동 474능○○ | 가축사육제한구역,준주거지역 / 답 1891㎡ (572.03평) | 1,010,000 | 1,909,910,000원 |
| 토지 | 3 | 능포동 477-1능○○ | 자동차정류장,가축사육제한구역,준주거지역 / 대 634㎡ (191.79평) | 1,110,000 | 703,740,000원 |
| 토지 | 4 | 능포동 477-5능○○ | 자동차정류장,가축사육제한구역,준주거지역 / 답 939㎡ (284.05평) | 1,010,000 | 948,390,000원 |
| 토지 | 5 | 능포동 473-3능○○ | 자동차정류장,가축사육제한구역,준주거지역 / 답 502㎡ (151.86평) | 1,010,000 | 507,020,000원 |
| 건물 | 능포로 232 [능포동 489-3]능○○경량철골조 샌드위치판넬지붕 | 단층 | 소매점및 주택 / 91.65㎡(27.72평) | 377,000 | 34,552,050원 |
| 제시외건물및기타 | 1 | 능포로 232 [능포동 489-3]능○○판넬조 판넬지붕 | 단층 / 창고 | 22 | 188,000원 |
| 2 | 단층 | 창고 및 화장실 | 84㎡(25.41평) / 220,000원 | 18,480,000 | 매각포함 |
| 3 | 능포동 474능○○판넬조 판넬지붕 | 단층 | 숙소 / 122㎡(36.91평) | 428,000 | 52,216,000원 |
| 4 | 단층 | 숙소 | 53㎡(16.03평) / 428,000원 | 22,684,000 | 매각제외 |
현황 및 위치
* 본건은 경상남도 거제시 능포동 소재 "능포마을회관" 남서측 인근에 위치하며, 부근은 미성숙 주택지대로 형성되어 있음 * 본건까지 차량 접근 가능하며, 일반적인 교통사정은 보통 수준임. * 1)부정형 평지의 토지로서, 주상용 건부지로 이용중임. 2)부정형 평지의 토지로서, 자동차정류장 부지로 이용중임. 3~5)부정형 평지의 토지로서, 주거나지 상태임. * 1)본건 남서측으로 폭 약 8m 내외의 도로 및 서측으로 폭 약 20m 내외의 도로와 각각 접함. 2,5)본건 서측으로 폭 약 20m 내외의 도로와 접함. 3)본건 서측으로 폭 약 20m 내외의 도로 및 북측으로 폭 약 8m 내외의 도로와 각각 접함. 4)본건 서측으로 폭 약 20m 내외의 도로 및 북동측, 동측으로 폭 약 8m 내외의 도로와 각각 접함.
참고사항
▶본건매각 2025.10.13 / 매각가 2,110,000,000원 / OOO / 1명 입찰 / 대금미납* 일괄매각. * 본건 건물 제시외 건물(감정서상 ㄱ,ㄴ) 매각 포함. * 토2) 제시외 건물 및 기계기구(감정서상 ㄷ,ㄹ, 주유기, 세차설비,유류저장탱크)매각 제외. * 토2) 지상에 담장 등은 토지 부합물로서 토지가격에 포함평가하였음.
전문가 코멘트
**본 건은 법정지상권 성립여부가 문제되는 경매물건입니다. 기본적인 성립요건은 최선순위 근저당이나 가압류 당시에 건물이 있었는지 건물의 소유자는 토지 소유자와 일치 하였는지를 확인하여야 합니다. 기본적인 조사 방법은 등기부, 건축물대장, 건축허가일시, 재산세 과세 대장을 통한 자료조사와 탐문 조사(대출자, 인근 거주자)가 있습니다. 일반론에 대한 추가적인 내용은 PC버전은 등기부 요약란 아래의 유치권/법정지상권 버튼을 눌러 참고하시고 모바일버전의 경우 자료실의 관련자료를 참고하시기 바랍니다. 본 건에서 구체적으로 검토하여야 할 사항은 다음과 같습니다. == 현재 토지와 건물의 소유자는 동일하고 매각에서 제외되는 제시외 건물의 법정지상권이 문제됩니다. 제시외 건물의 경우 소유자가 동일하다는 것을 전제로하면 건축시기가 중요합니다. ( 제 3자가 소유자인 경우 기존에 성립한 법정지상권이 없다면 소유자동일성이 결여되어 법정지상권은 성립하지 않습니다. )그러나 부속 건물의 규모가 작은 경우 일반적으로 명도 과정에서 해결하는 것이 효율적이고 낙찰자 입장에서는 부합물이나 종물의 범위에 포함되는 지 여부도 검토할 사항입니다. ** 본 건은 유치권신고가 된 경매물건입니다. 기본적인 유치권의 성립요건은 유치권의 원인채권이 경매되는 물건의 가치증가나 보존에 기여한 변제기가 지난 채권(주로 공사채권)이어야하고 채권회수를 위하여 유치(점유 = 직접, 간접점유 무관)를 하고 있어야 합니다. 조사방법은 먼저 신고내용을 입수하여 공사의 내용과 세목 등을 파악하고 이를 기초로 이해관계이자 탐문, 현장조사 등을 통하여 성립여부에 대한 판단을 합니다. 기본적인 내용은 PC버전은 등기부 요약란 아래의 유치권/법정지상권 버튼을 눌러 참고하시고 모바일버전의 경우 자료실의 관련자료를 참고하시기 바랍니다. 본 건에서 구체적으로 검토하여야 할 사항은 다음과 같습니다. == 유치권 신고와 배제신청이 모두 있으므로 양 당사자의 주장을 모두 참고하고 유치권으로서의 성립요건을 갖추었는지를 현장 방문 등을 통하여 확인하는 것이 필요할 것입니다. 아울러 낙찰 후의 대처 방법도 미리 함께 준비하여야 할 것입니다.
등기부 현황
건물
| 순위 | 접수일자 | 권리종류 | 권리자 | 채권금액 | 소멸여부 | 비고 |
|---|---|---|---|---|---|---|
| 1(갑8) | 2017-06-16 | 소유권이전 | 임OO | 0 | 신탁재산의귀속 | |
| 2(을20) | 2017-06-16 | 근저당 | 경OOOOOOOOOOOOO | 3,840,000,000 | 소멸 | 말소기준등기 |
| 3(갑10) | 2018-06-11 | 소유권이전(상속) | 임OO | 0 | 협의분할에 의한 상속 | |
| 4(갑17) | 2023-09-26 | 임의경매 | 경OOOOOOOOOO | 3,260,535,492 | 소멸 | 2023타경28514 |
| 5(갑20) | 2024-06-20 | 압류 | 국OOOOOOO | 0 | 소멸 | |
| 6(갑21) | 2024-11-22 | 압류 | 거OO | 0 | 소멸 |