목록으로
최종 업데이트: 2026-04-21 10:44
2025타경51737
광주지방법원 목포지원 2계(061-270-6692)
부동산
부동산강제경매
결과 대기
진행중
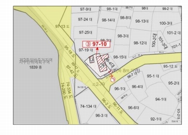
| 소재지 |
-
(전라남도 목포시 산정동 97-10)
|
|---|---|
| 물건종류 | 주택 |
| 면적 |
토지: 0.00㎡ (0평)
건물: 61.76㎡ (18.68평)
|
| 현재 위치 | 전라남도 목포시 산정동 97-10 |
| 소유자 / 채무자 | 하명희 / 파산자 하명희의 파산관재인 변호사 한재원 |
| 채권자 | 엠메이드대부유한회사 |
| 배당종기일 | 2026-03-09 |
감정가
6,026,920
최저가
6,026,920
보증금
602,700
입찰 진행 내역
| 회차/구분 | 입찰기일 | 최저매각가격 | 결과 |
|---|---|---|---|
| 1차 (진행) | 2026-05-04 | 6,026,920 | |
| 2차 (진행) | 2026-06-22 | 4,219,000 | |
| 3차 (진행) | 2026-08-03 | 3,375,000 | |
| 4차 (진행) | 2026-09-21 | 2,700,000 |
매각물건 현황
| 구분 | 순번 | 소재지 | 용도/구조/면적 | 감정가 | 비고 |
|---|---|---|---|---|---|
| 토지 | 토지 | 산정동 97-10 | 상대보호구역,도시지역,가축사육제한구역,제1종일반주거지역 / 대 22㎡ (6.66평) | 261,000 | 5,742,000원 |
| 건물 | 1 | 산정동 97-10외 1필지 제1호목조스레트지붕 등 1.목조스레트지붕, 2.시멘트블록조 슬래브지붕, 3.시멘트블록조 슬래브지붕 | 단층 / 공가 | 82 | 22,000원 |
| 2 | 1층 | 공가 | 1.78㎡(0.54평) / 24,000원 | 42,720 | * 사용승인:1983.05.17* 부속건물 *전체면적 12.48㎡ 중 공유자 하명희 지분 49분의 7 전부 매각 |
| 3 | 2층 | 공가 | 1.83㎡(0.55평) / 24,000원 | 43,920 | * 사용승인:1983.05.17*전체면적 12.83㎡ 중 공유자 하명희 지분 49분의 7 전부 매각 |
| 제시외건물 | 산정동 97-10조적조 기와지붕 | 단층 | 문간 / 0.4㎡(0.12평) | 10,000 | 4,000원 |
현황 및 위치
* 본건은 전라남도 목포시 산정동 소재 산정초등학교 남서측 인근에 위치하고 있으며, 본건 주위는 단독주택 위주의 기존 주택지대임. * 본건까지 차량접근 가능하고 일반적인 교통이용사정은 보통시 됨. * 사다리형의 완경사지로서, 주거용 건부지로 이용중임. * 본건 남서측으로 소로에 접해 있으나 고저차로 인하여 출입이 불가능하며, 남동측으로 노폭 약 6m의 포장도로에 접해 있음.
참고사항
* 일괄매각. * 건축물대장상 등재되지 않은 제시외 미등기 건물 포함 매각. * 지분매각. * 현재 공가 상태이고, 반파상태임. * 본건 건물 등이 타지번 일부에 걸쳐 있음
등기부 현황
건물
| 순위 | 접수일자 | 권리종류 | 권리자 | 채권금액 | 소멸여부 | 비고 |
|---|---|---|---|---|---|---|
| 1(갑2) | 2025-08-28 | 소유권이전(상속) | 하OOOOO | 0 | 하명희 7/49 | |
| 2(갑3) | 2025-12-05 | 하명희지분강제경매 | 엠OOOOOOOOO | 17,270,253 | 소멸 | 말소기준등기2025타경51737 |
관련 문서 (PDF)
클릭하면 원본 파일이 열립니다