목록으로
최종 업데이트: 2026-04-25 14:26
2024타경140423
서울남부지방법원 본원 10계(02-2192-1340)
부동산
부동산임의경매
유찰
진행중
| 소재지 |
-
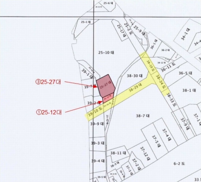
(서울특별시 구로구 오류동 25-27)
|
|---|---|
| 물건종류 | 근린시설 |
| 면적 |
토지: 0.00㎡ (0평)
건물: 139.83㎡ (42.3평)
|
| 현재 위치 | 서울특별시 구로구 오류동 25-27 |
| 소유자 / 채무자 | (주)대서산업개발 외 1 / 박세문 |
| 채권자 | (주)지원파이낸셜대부 |
| 배당종기일 | 2025-02-10 |
감정가
1,878,996,600
최저가
769,637,000
보증금
76,963,700
입찰 진행 내역
| 회차/구분 | 입찰기일 | 최저매각가격 | 결과 |
|---|---|---|---|
| 1차 (진행) | 2025-11-12 | 1,878,996,600 | 유찰 |
| 2차 (진행) | 2025-12-23 | 1,503,197,000 | 유찰 |
| 3차 (진행) | 2026-02-11 | 1,202,558,000 | 유찰 |
| 4차 (진행) | 2026-04-01 | 962,046,000 | 유찰 |
| 5차 (진행) | 2026-05-13 | 769,637,000 |
임차인 현황
| 임차인명 | 점유여부 | 전입/확정/배당 | 보증금 / 차임 | 예상배당액 | 대항력 |
|---|---|---|---|---|---|
| 허순자 | 점포 1층 중 9㎡ |
전입: -
확정: - 배당: 2024-12-17 |
5,000,000
월 250,000
|
0 | - |
매각물건 현황
| 구분 | 순번 | 소재지 | 용도/구조/면적 | 감정가 | 비고 |
|---|---|---|---|---|---|
| 토지 | 토지 | 오류동 25-27 | 대공방어협조구역,교육환경보호구역,과밀억제권역,도시지역,토지거래...대공방어협조구역,교육환경보호구역,과밀억제권역,도시지역,토지거래계약에관한허가구역,제3종일반주거지역 / 대 212㎡ (64.13평) | 8,850,000 | 1,876,200,000원 |
| 건물 | 경인로19길 26-15 [오류동 25-27]철근콩크리트조 평옥개 | 단층 | 재래시장 내 점포(현황 공실상태) / 139.83㎡(42.3평) | 20,000 | 2,796,600원 |
현황 및 위치
* 본건은 구로구 오류동 소재 오류초등학교 남동측 인근에 위치하며, 주변은 시장 내 상가, 근린생활시설, 점포 등이 혼재하는 재래시장으로서 입지조건은 보통임. * 본건으로 차량출입 가능하고, 인근에 버스정류장 및 지하철 오류동역이 소재하는 등 제반 교통여건은 보통임. * 인접 필지 대비 평탄한 사다리형 토지로 현황 상업용 건물의 건부지임. * 남동측으로 폭 약 4미터 내외의 도로에 접함.
참고사항
* 일괄매각 * 지상에 오류동 25-12 건물일부가 소재(감정평가서상 건물개황도 참조), ☞1화차현황서상 내용:부동산은 슬레이트로 그 내부를 막아 놓은 모습이며 영업을 않한지 오래된 형태를 취하고 있었음. 2층에는 주거 형태를 취하고 있었으나 몹시 낡고 인적이 없었으며, 떡방 주인도 아무도 거주하지 않는다고 진술하였음
전문가 코멘트
**본 건은 법정지상권 성립여부가 문제되는 경매물건입니다. 기본적인 성립요건은 최선순위 근저당이나 가압류 당시에 건물이 있었는지 건물의 소유자는 토지 소유자와 일치 하였는지를 확인하여야 합니다. 기본적인 조사 방법은 등기부, 건축물대장, 건축허가일시, 재산세 과세 대장을 통한 자료조사와 탐문 조사(대출자, 인근 거주자)가 있습니다. 일반론에 대한 추가적인 내용은 PC버전은 등기부 요약란 아래의 유치권/법정지상권 버튼을 눌러 참고하시고 모바일버전의 경우 자료실의 관련자료를 참고하시기 바랍니다. 본 건에서 구체적으로 검토하여야 할 사항은 다음과 같습니다. == 본건의 경우 등기부를 보면 종전 토지의 지분 매매 당시에는 소유자가 동일한 상태였습니다. 따라서 당시를 기준으로 법정지상권이 성립하였을 가능성이 높습니다. 하지만 현재 유효하게 지상권이 유지되고 있는 지 (지료체납, 포기 등의 이유로 해지된 상태인지)를 확인하여야 합니다.
등기부 현황
건물
| 순위 | 접수일자 | 권리종류 | 권리자 | 채권금액 | 소멸여부 | 비고 |
|---|---|---|---|---|---|---|
| 1(을7) | 2019-03-27 | 근저당 | (OOOOOOOOOO | 936,000,000 | 소멸 | 말소기준등기확정채권양도전:다온신용협동조합 |
| 2(갑6) | 2019-06-10 | 맹일영지분전부이전 | (OOOOOOOO | 0 | 매매, 1/2 | |
| 3(갑9) | 2021-06-25 | 황인성지분전부이전 | (OOOOOOOO | 0 | 매매, 1/2 | |
| 4(을8) | 2021-06-25 | 근저당 | (OOOOOOOO | 5,250,000,000 | 소멸 | |
| 5(을8) | 2021-06-25 | 근저당 | 권OO | 2,250,000,000 | 소멸 | |
| 6(을9) | 2021-06-25 | 근저당 | 김OO | 700,000,000 | 소멸 | |
| 7(을9) | 2021-06-25 | 근저당 | (OOOOOOO | 300,000,000 | 소멸 | |
| 8(갑13) | 2023-06-22 | 압류 | 구OOOOOOOOO | 0 | 소멸 | |
| 9(갑14) | 2024-11-08 | 임의경매 | (OOOOOOOOOO | 822,821,145 | 소멸 | 2024타경140423 |
관련 문서 (PDF)
클릭하면 원본 파일이 열립니다