목록으로
최종 업데이트: 2026-04-22 13:21
2025타경402
창원지방법원 본원 1계(055-239-2111)
부동산
부동산임의경매
유찰
진행중
| 소재지 |
-
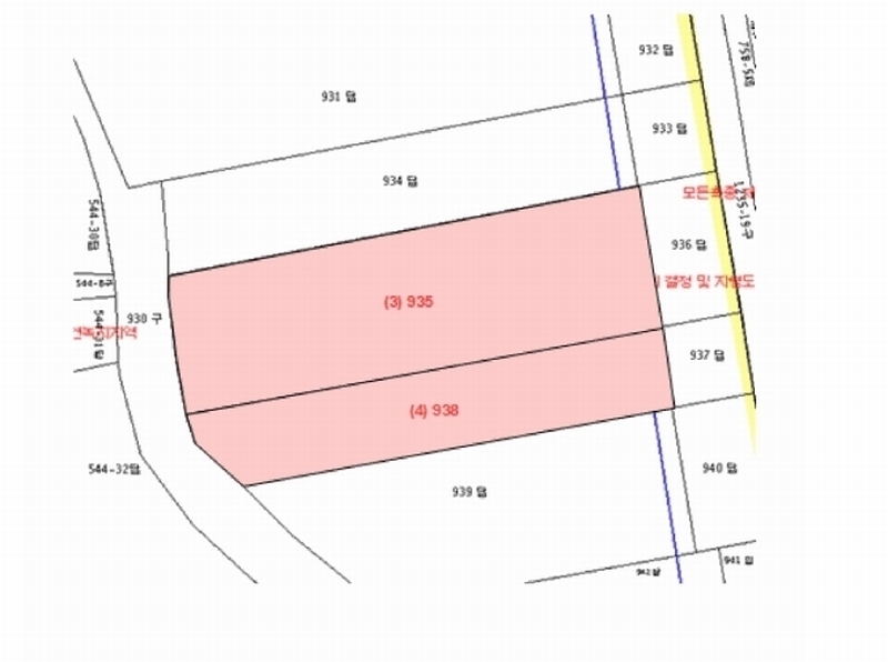
(경상남도 김해시 흥동 935)
|
|---|---|
| 물건종류 | 농지 |
| 면적 |
토지: 0.00㎡ (0평)
건물: 0.00㎡ (0평)
|
| 현재 위치 | 경상남도 김해시 흥동 935 |
| 소유자 / 채무자 | 정경만 / 정경만 |
| 채권자 | 김해농협 |
| 배당종기일 | 2025-06-23 |
감정가
489,300,000
최저가
167,829,000
보증금
16,782,900
입찰 진행 내역
| 회차/구분 | 입찰기일 | 최저매각가격 | 결과 |
|---|---|---|---|
| 1차 (진행) | 2026-01-20 | 489,300,000 | 유찰 |
| 2차 (진행) | 2026-03-03 | 342,510,000 | 유찰 |
| 3차 (진행) | 2026-04-07 | 239,757,000 | 유찰 |
| 4차 (진행) | 2026-05-19 | 167,829,000 |
임차인 현황
| 임차인명 | 점유여부 | 전입/확정/배당 | 보증금 / 차임 | 예상배당액 | 대항력 |
|---|---|---|---|---|---|
| 김중화 | 주거용 전부 |
전입: 2022-05-02
확정: - 배당: - |
0
월 0
|
0 | 없음 |
매각물건 현황
| 구분 | 순번 | 소재지 | 용도/구조/면적 | 감정가 | 비고 |
|---|---|---|---|---|---|
| 토지 | 토지 | 1 | 흥동 935 / 도시지역,자연녹지지역,개발제한구역,가축사육제한구역,하천구역 | 1,330 | 233,000원(130,200원) |
| 토지 | 2 | 흥동 938 | 도시지역,자연녹지지역,개발제한구역,가축사육제한구역,하천구역 / 답 770㎡ (232.93평) | 233,000 | 179,410,000원 |
현황 및 위치
* 본건은 경상남도 김해시 흥동 소재 ‘칠산초등학교’ 북동측 원거리에 위치하며 부근은 순수 농촌지대로서, 제반 주위환경은 보통시됨. * 본건까지 농기계 출입 가능하며, 위치 및 대중교통수단의 통행·횟수 등을 고려시 제반 교통사정은 보통시됨. * 인접지와 대체로 등고 평탄한 사다리형의 토지로서, 답으로 이용중임. * 지적도상 맹지이나, 인접필지를 경유하여 출입 가능함.
참고사항
* 일괄매각. * 현황조사상 토1,2는 현재 2필지를 1단으로 사용중임. * 지적도상 맹지이나, 인접필지를 경유하여 출입 가능함.
전문가 코멘트
☞ [농지취득자격증명] 농지를 취득하려는 자는 신청서와 농업경영계획서(주말·체험영농계획서)를 작성하여 농지 소재지를 관할하는 시·구·읍·면장에게서 농지취득자격증명원을 발급받아 매각결정기일 전까지 법원에 제출하여야 하고 미제출 시 보증금이 몰수될 수 있으니 입찰 전 발급 가능 여부를 확인하시기 바랍니다. (정부24시를 통하여 발급 신청도 가능합니다.) ※ 2021.08.17. 개정된 농지법에 따라 농업진흥지역 내 농지의 주말ㆍ체험영농목적 취득을 제한(제6조제2항제3호)하고 있으니 이점 참고하시고 입찰에 참여하시기 바랍니다. ※ 2022.05.18.부터 농지취득 자격심사가 대폭 강화됨으로 증빙서류 추가 및 발급 민원처리 기간이 연장되었으므로 주의하시기 바라며, 농지위원회 심의를 거쳐 농지취득자격증명 발급 여부를 판단하는 경우에는 14일 이내에 발급하도록 되어 있으므로 입찰 전에 미리 해당 행정관서에 농지취득자격증명의 신청도 가능함을 참고하시기 바랍니다.
등기부 현황
건물
| 순위 | 접수일자 | 권리종류 | 권리자 | 채권금액 | 소멸여부 | 비고 |
|---|---|---|---|---|---|---|
| 1(갑1) | 2000-03-14 | 소유권이전(매매) | 정OO | 0 | ||
| 2(을5) | 2022-08-04 | 근저당 | 농OOOOOOOOOOOOOOOOO | 840,000,000 | 소멸 | 말소기준등기확정채권양도전:김해농협 |
| 3(갑2) | 2025-03-20 | 임의경매 | 농OOOOOOOOOOOOOOOOO | 714,629,707 | 소멸 | 2025타경402 |
| 4(갑3) | 2025-05-26 | 가압류 | 김OOO | 420,229,934 | 소멸 | 2025카단559 |
관련 문서 (PDF)
클릭하면 원본 파일이 열립니다