목록으로
최종 업데이트: 2026-04-22 17:07
2025타경102225
서울중앙지방법원 본원 11계(02-530-1817)
부동산
부동산강제경매
매각
진행중
| 소재지 |
-
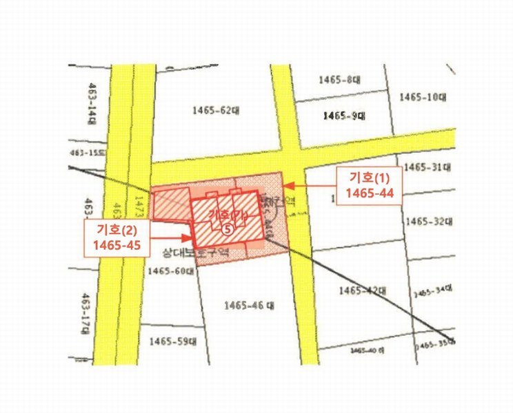
(서울특별시 관악구 신림동 1465-44)
|
|---|---|
| 물건종류 | 근린주택 |
| 면적 |
토지: 0.00㎡ (0평)
건물: 466.15㎡ (141.01평)
|
| 현재 위치 | 서울특별시 관악구 신림동 1465-44 |
| 소유자 / 채무자 | 김정현,김혜자 / 김정현,김혜자 |
| 채권자 | 안인식 |
| 배당종기일 | 2025-05-22 |
감정가
2,324,234,720
최저가
1,487,510,000
보증금
148,751,000
진행 상태 / 매각 결과
매각
completed = false
매각허가결정
| 상태 코드 | 2 | 상태 텍스트 | 매각허가결정 |
|---|---|---|---|
| 매각가 | 1,732,770,000원 | 매각가율 | 0% |
| 입찰 수 | 4 | 매수인 | 경상남도 진주 한국토지주택공사 (임차인우선매수 |
| 차순위 입찰가 | 1,629,999,999원 | 매각허가 결정 | 매각허가결정 |
| 매각허가 결정일 | 2026-03-12 | 대금 지급기한 | - |
| 대금 지급상태 | - | 배당기일 | - |
| 배당 종결일 | - | 다음 확인 예정 | 2026-04-23 09:00 |
입찰 진행 내역
| 회차/구분 | 입찰기일 | 최저매각가격 | 결과 |
|---|---|---|---|
| 1차 (진행) | 2025-12-11 | 2,324,234,720 | 유찰 |
| 2차 (진행) | 2026-01-22 | 1,859,388,000 | 유찰 |
| 3차 (진행) | 2026-03-05 | 1,487,510,000 |
진행 메모
매각 : 1,732,770,000 원 (74.55%)
(입찰 4 명,매수인:경상남도 진주 한국토지주택공사 (임차인우선매수) / 차순위금액 1,629,999,999원)
매각결정기일 : 2026.03.12 - 매각허가결정
대금지급기한 : 2026.04.15
대금납부 2026.04.07 / 배당기일 2026.05.19
임차인 현황
| 임차인명 | 점유여부 | 전입/확정/배당 | 보증금 / 차임 | 예상배당액 | 대항력 |
|---|---|---|---|---|---|
| LIUXIAOGUANG | 주거용 |
전입: 2022-06-29
확정: - 배당: - |
0
월 0
|
0 | 없음 |
| 김동훈 | 주거용 4층 중 23.06㎡(문패상 402호) |
전입: 2019-11-25
확정: 2019-10-31 배당: 2025-03-28 |
140,000,000
월 0
|
0 | 없음 |
| 김민선 | 주거용 |
전입: 2022-02-14
확정: - 배당: - |
0
월 0
|
0 | 없음 |
| 김지혜 | 주거용 4층 중 약 19㎡(문패상 401호) |
전입: 2022-05-02
확정: 2022-04-06 배당: 2025-03-27 |
150,000,000
월 0
|
0 | 없음 |
| 김해인 | 주거용 옥탑1층 중 약 31㎡(문패상 601호) |
전입: 2023-05-26
확정: 2025-03-28 배당: 2025-05-15 |
100,000,000
월 0
|
0 | 없음 |
| 박세영 | 주거용 옥탑1층 약 27㎡(문패상 602호) |
전입: 2022-04-13
확정: 2022-04-14 배당: 2025-03-24 |
40,000,000
월 630,000
|
0 | 없음 |
| 박예린 | 주거용 2층 중 약 24㎡(문패상 201호) |
전입: 2023-10-04
확정: 2023-10-10 배당: 2025-03-26 |
50,000,000
월 350,000
|
0 | 없음 |
| 서승원 | 주거용 3층 중 약 21㎡(문패상 304호) |
전입: 2023-10-04
확정: 2023-09-06 배당: 2025-05-16 |
120,000,000
월 100,000
|
0 | 없음 |
| 송은영 | 주거용 5층 중 약 38㎡(문패상 501호) |
전입: 2020-06-02
확정: 2020-06-02 배당: 2025-03-24 |
140,000,000
월 350,000
|
0 | 없음 |
| 송지헌 | 주거용 1층 중 약19.8㎡(문패상 104호) |
전입: 2022-07-04
확정: - 배당: 2025-05-08 |
50,000,000
월 300,000
|
0 | 없음 |
| 송희현 | 주거용 |
전입: 2018-10-11
확정: - 배당: - |
0
월 0
|
0 | 없음 |
| 안영일 | 주거용 101호 |
전입: 2022-06-28
확정: 2022-06-28 배당: 2025-03-24 |
170,000,000
월 0
|
0 | 없음 |
| 안인식 | 주거용 1층 중 23.3㎡ (문패상 103호) |
전입: 2019-08-19
확정: 2019-08-27 배당: 2025-05-09 |
85,000,000
월 0
|
0 | 없음 |
| 양성훈 | 주거용 502호 |
전입: 2020-02-07
확정: 2020-02-07 배당: 2025-05-14 |
150,000,000
월 170,000
|
0 | 없음 |
| 윤상원 | 주거용 3층 중 약 20㎡(문패상 301호) |
전입: 2023-11-14
확정: 2023-10-13 배당: 2025-03-25 |
140,000,000
월 0
|
0 | 없음 |
| 이광헌 | 주거용 4층 중 약 25㎡(문패상 403호) |
전입: 2019-10-23
확정: 2019-09-26 배당: 2025-03-31 |
135,000,000
월 0
|
0 | 없음 |
| 이요섭 | 주거용 2층 중 약21㎡(문패상 203호) |
전입: 2022-03-24
확정: 2022-03-11 배당: 2025-05-13 |
100,000,000
월 0
|
0 | 없음 |
| 정중관 | 주거용 3층 21.45㎡(문패상 303호) |
전입: 2023-09-25
확정: 2023-09-05 배당: 2025-03-24 |
130,000,000
월 50,000
|
0 | 없음 |
| 정지수 | 주거용 404호 |
전입: 2021-12-31
확정: 2021-12-16 배당: 2025-04-15 |
140,000,000
월 0
|
0 | 없음 |
| 정회엽 | 주거용 2층 중 약 19.4㎡(문패상 202호) |
전입: 2017-09-20
확정: 2017-09-20 배당: 2025-03-27 |
110,000,000
월 0
|
0 | 없음 |
| 조수환 | 주거용 3층 중 28㎡ (문패상 302호) |
전입: 2023-10-25
확정: 2023-10-17 배당: 2025-03-25 |
135,000,000
월 0
|
0 | 없음 |
| 한용구 | 주거용 2층 중 20.8㎡(문패상 204호) |
전입: 2024-11-13
확정: 2022-05-12 배당: 2025-05-07 |
100,000,000
월 0
|
0 | 없음 |
매각물건 현황
| 구분 | 순번 | 소재지 | 용도/구조/면적 | 감정가 | 비고 |
|---|---|---|---|---|---|
| 토지 | 토지 | 1 | 신림동 1465-44 / 대공방어협조구역,상대보호구역,도시지역,과밀억제권역,토지거래계약...대공방어협조구역,상대보호구역,도시지역,과밀억제권역,토지거래계약에관한허가구역,가축사육제한구역,제2종일반주거지역 | 76 | (3,901,000원) |
| 토지 | 2 | 신림동 1465-45 | 대공방어협조구역,상대보호구역,도시지역,과밀억제권역,토지거래계약...대공방어협조구역,상대보호구역,도시지역,과밀억제권역,토지거래계약에관한허가구역,가축사육제한구역,제2종일반주거지역 / 대 112.7㎡ (34.09평) | 0 | |
| 건물 | 1 | 관천로11길 20-13 [신림동 1465-44외 1필지]철근콘크리트구조 (철근)콘크리트지붕 | 지하1층 / 다중주택 | 57 | 1,118,000원 |
| 2 | 1층 | 사무소 | 66.95㎡(20.25평) / 1,462,000원 | 97,880,900 | * 사용승인:2017.08.08 |
| 3 | 2층 | 사무소 | 85.83㎡(25.96평) / 1,462,000원 | 125,483,460 | * 사용승인:2017.08.08 |
| 4 | 3층 | 다중주택 | 69.18㎡(20.93평) / 1,462,000원 | 101,141,160 | * 사용승인:2017.08.08 |
| 5 | 4층 | 다중주택 | 69.18㎡(20.93평) / 1,462,000원 | 101,141,160 | * 사용승인:2017.08.08 |
| 6 | 5층 | 다중주택 | 56.74㎡(17.16평) / 1,462,000원 | 82,953,880 | * 사용승인:2017.08.08 |
| 7 | 옥탑 | 다락 | 43.63㎡(13.2평) / 1,290,000원 | 56,282,700 | * 사용승인:2017.08.08* 옥탑1층, 연면적제외 |
| 8 | 옥탑 | 계단실 | 11.07㎡(3.35평) / 860,000원 | 9,520,200 | * 옥탑1층, 연면적제외 |
| 제시외건물 | 관천로11길 20-13 [신림동 1465-44외 1필지]판넬조 판넬지붕 | 5층 | 주택일부 / 34㎡(10.29평) | 0 | 17,000,000원 |
현황 및 위치
* 본건은 서울특별시 관악구 신림동 소재 ""서울남부초등학교"" 동측 인근에 위치하였으며, 주위는 단독주택, 다가구주택, 다세대주택 및 각종 근린생활시설 등이 혼재하는 지역임. * 본건까지 차량 출입이 가능하며, 인근에 지하철2호선 신림역 및 노선버스정류장이 소재하는 등 대중교통 상황은 양호함. * 평지의 사다리형 토지로서, 다중주택 및 근린생활시설의 건부지로 이용중임. * 본건 동측으로 약 4미터 내외의 도로에 접함.
참고사항
[관련사건내역] 서울동부지방법원 2025타경51072 이송전사건 * 일괄매각. 제시외 건물 포함 * 본건 건물의 1층 및 2층은 도면과 상이하게 분할하여 공간활용하고 있음 * 본건 건물은 주택과-48377(17.12.6.)에 의거 위반건축물표기[내역: 옥탑 14㎡ 조립식패널조 단독주택, 5층 20㎡ 조립식패널조 단독주택]되어 있음 * 본건 건물 옥탑1층(다락)은 각각 601호, 602호로 이용되고 있음 * 건축물 대장상 위반건축물임. ▶ 토1,2) 일단지 185.2㎡ *@9,110,000원/㎡=1,687,172,000원, 도로후퇴 4.2㎡*@3,000,000원/㎡=12,600,000원
전문가 코멘트
☞ 위반(불법)건축물일 경우 건축법 제80조에 의해 계고 및 원상복구명령을 받게되고, 원상복구 하지 않으면 매년 2회 이내 이행강제금이 부과되므로 관할 관청을 통하여 위반내용, 이행강제금 부과내역 또는 양성화방안 등을 확인하시고 이로 인해 잔금대출에 영향이 없는지 금융기관에 확인하시기 바랍니다.(상가의 경우 기존 영업허가는 승계가 가능하나 신규 영업허가는 발급이 어려우니 주의하시기 바랍니다.)
등기부 현황
건물
| 순위 | 접수일자 | 권리종류 | 권리자 | 채권금액 | 소멸여부 | 비고 |
|---|---|---|---|---|---|---|
| 1(갑1) | 2017-08-11 | 소유권보존 | 김OOOOO | 0 | 김옥자 김정현 김혜자 김영미 각 1/4 | |
| 2(을2) | 2017-09-15 | 근저당 | 신OOOOOOOOOO | 900,000,000 | 소멸 | 말소기준등기 |
| 3(갑2) | 2018-03-21 | 김영미지분전부이전 | 김OO | 0 | 매매, 1/4 | |
| 4(갑3) | 2018-03-21 | 김옥자지분전부이전 | 김OO | 0 | 매매, 1/4 | |
| 5(을6) | 2024-06-03 | 주택임차권(1층 중 23.3㎡ (문패상 103호)) | 안OO | 85,000,000 | 소멸 | 전입:2019.08.19확정:2019.08.27 |
| 6(을7) | 2024-06-07 | 주택임차권(2층 중 약21㎡(문패상 203호)) | 이OO | 100,000,000 | 소멸 | 전입:2022.03.24확정:2022.03.11 |
| 7(을8) | 2024-06-26 | 주택임차권(1층 중 약19.8㎡(문패상 104호)) | 송OO | 50,000,000 | 소멸 | 전입:2022.07.04확정:0000.00.00차:월 금 300,000원 |
| 8(갑4) | 2025-03-06 | 강제경매 | 안OO | 85,000,000 | 소멸 | 2025타경102225 |
| 9(을9) | 2025-04-01 | 주택임차권(2층 중 약 19.4㎡(문패상 202호)) | 정OO | 110,000,000 | 소멸 | 전입:2017.09.20확정:2017.09.20보:금110,000,000원(2019년8월22일 금10,000,000원 증액), 1차확:2017년9월20일(금100,000,000원), 2차확:2025년3월27일(증액된 금10,000,000원) |
| 10(을10) | 2025-04-03 | 주택임차권(5층 중 약 38㎡(문패상 501호)) | 송OO | 140,000,000 | 소멸 | 전입:2020.06.02확정:2020.06.02차:금 350,000원 |
| 11(을11) | 2025-05-07 | 주택임차권(2층 중 20.8㎡(문패상 204호)) | 한OO | 100,000,000 | 소멸 | 전입:2024.11.13확정:2022.05.12 |
| 12(갑5) | 2025-06-02 | 가압류 | 윤OO | 140,000,000 | 소멸 | 2025카단811297 |
| 13(을12) | 2025-06-04 | 주택임차권(3층 중 28㎡ (문패상 302호)) | 조OO | 135,000,000 | 소멸 | 전입:2023.10.25확정:2023.10.17 |
| 14(갑6) | 2025-06-04 | 가압류 | 조OO | 135,000,000 | 소멸 | 2025카단811296 |
| 15(갑7) | 2025-06-13 | 가압류 | 김OO | 150,000,000 | 소멸 | 2025카단811290 |
| 16(갑8) | 2025-06-13 | 가압류 | 박OO | 50,000,000 | 소멸 | 2025카단811291 |
| 17(갑8) | 2025-06-13 | 가압류 | 정OO | 130,000,000 | 소멸 | 2025카단811294 |
| 18(갑8) | 2025-06-13 | 가압류 | 정OO | 140,000,000 | 소멸 | 2025카단811295 |
| 19(갑9) | 2025-06-16 | 가압류 | 박OO | 40,000,000 | 소멸 | 2025카단811293 |
| 20(갑10) | 2025-06-18 | 가압류 | 안OO | 170,000,000 | 소멸 | 2025카단811286 |
| 21(갑11) | 2025-06-19 | 가압류 | 서OO | 120,000,000 | 소멸 | 2025카단811292 |
| 22(갑12) | 2025-06-19 | 가압류 | 양OO | 150,000,000 | 소멸 | 2025카단811288 |
| 23(갑13) | 2025-06-24 | 가압류 | 정OO | 110,000,000 | 소멸 | 2025카단811287 |
| 24(을13) | 2025-07-29 | 주택임차권(2층 중 약 24㎡(문패상 201호)) | 박OO | 50,000,000 | 소멸 | 전입:2023.10.04확정:2023.10.10차: 금350,000원 |
| 25(을14) | 2025-08-08 | 주택임차권(옥탑1층 약 27㎡(문패상 602호)) | 박OO | 40,000,000 | 소멸 | 전입:2022.04.13확정:2022.04.14차: 금 630,000원 |
| 26(을15) | 2025-08-12 | 주택임차권(3층 중 약 21㎡(문패상 304호)) | 서OO | 120,000,000 | 소멸 | 전입:2023.10.04확정:2023.09.06차:금100,000원 |
| 27(을16) | 2025-09-02 | 주택임차권(3층 21.45㎡(문패상 303호)) | 정OO | 130,000,000 | 소멸 | 전입:2023.09.25확정:2023.09.05차:금 50,000원 |
| 28(을17) | 2025-09-04 | 주택임차권(4층 중 약 19㎡(문패상 401호)) | 김OO | 150,000,000 | 소멸 | 전입:2022.05.02확정:2022.04.06 |
| 29(갑14) | 2025-09-12 | 임의경매 | 신OOOOOOOOOO | 781,703,294 | 소멸 | 2025타경3143 |
| 30(을18) | 2025-09-22 | 주택임차권(4층 중 약 25㎡(문패상 403호)) | 이OO | 135,000,000 | 소멸 | 전입:2019.10.23확정:2019.09.26 |
| 31(을19) | 2025-10-21 | 주택임차권(3층 중 약 20㎡(문패상 301호)) | 윤OO | 140,000,000 | 소멸 | 전입:2023.11.14확정:2023.10.13 |
| 32(을20) | 2025-11-03 | 주택임차권(4층 중 23.06㎡(문패상 402호)) | 김OO | 140,000,000 | 소멸 | 전입:2019.11.25확정:2019.10.31 |
| 33(을21) | 2025-11-12 | 주택임차권(옥탑1층 중 약 31㎡(문패상 601호)) | 김OO | 100,000,000 | 소멸 | 전입:2023.05.26확정:2025.03.28 |
관련 문서 (PDF)
클릭하면 원본 파일이 열립니다