목록으로
최종 업데이트: 2026-04-22 13:20
2025타경102868
서울중앙지방법원 본원 1계(02-530-1820)
부동산
부동산강제경매
유찰
진행중
| 소재지 |
-
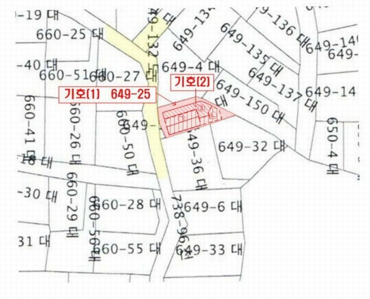
(서울특별시 관악구 봉천동 649-25)
|
|---|---|
| 물건종류 | 다가구(원룸등) |
| 면적 |
토지: 0.00㎡ (0평)
건물: 169.62㎡ (51.31평)
|
| 현재 위치 | 서울특별시 관악구 봉천동 649-25 |
| 소유자 / 채무자 | 박근순 / 박근순 |
| 채권자 | 주미연 |
| 배당종기일 | 2025-08-14 |
감정가
1,227,175,230
최저가
981,740,184
보증금
98,174,100
입찰 진행 내역
| 회차/구분 | 입찰기일 | 최저매각가격 | 결과 |
|---|---|---|---|
| 1차 (진행) | 2026-01-27 | 1,227,175,230 | 유찰 |
| 2차 (진행) | 2026-03-10 | 981,740,000 | 유찰 |
| (진행) | 2026-04-14 | 785,392,000 | 변경 |
| 3차 (진행) | 2026-04-14 | 1,227,175,230 | 유찰 |
| 4차 (진행) | 2026-05-26 | 981,740,184 | |
| 5차 (진행) | 2026-06-30 | 785,392,147 | |
| 6차 (진행) | 2026-08-04 | 628,313,718 |
임차인 현황
| 임차인명 | 점유여부 | 전입/확정/배당 | 보증금 / 차임 | 예상배당액 | 대항력 |
|---|---|---|---|---|---|
| 강혜인 | 주거용 201호 |
전입: 2022-03-30
확정: 2022-03-17 배당: 2026-02-19 |
125,000,000
월 0
|
0 | 있음 |
| 서상덕 | 주거용 301호 |
전입: 2022-01-06
확정: - 배당: - |
0
월 0
|
0 | - |
| 조민수 | 주거용 2층 29㎡(문패상202호) |
전입: 2022-04-08
확정: 2022-03-24 배당: 2025-08-08 |
150,000,000
월 0
|
0 | 있음 |
| 조원영 | 주거용 101호 |
전입: 2025-04-15
확정: - 배당: - |
0
월 0
|
0 | 없음 |
| 주미연 | 주거용 1층 약 19.5㎡(문패상102호) |
전입: 2022-07-15
확정: 2022-06-12 배당: 2025-07-09 |
110,000,000
월 0
|
0 | 있음 |
매각물건 현황
| 구분 | 순번 | 소재지 | 용도/구조/면적 | 감정가 | 비고 |
|---|---|---|---|---|---|
| 토지 | 토지 | 봉천동 649-25 | 대공방어협조구역,도시지역,과밀억제권역,토지거래계약에관한허가구역...대공방어협조구역,도시지역,과밀억제권역,토지거래계약에관한허가구역,가축사육제한구역,제2종일반주거지역 / 대 97㎡ (29.34평) | 9,290,000 | 901,130,000원 |
| 건물 | 1 | 봉천로21가길 5-39 [봉천동 649-25]철근콘크리트구조 (철근)콘크리트 지붕 | 1층 / 단독주택(다중주택) | 86 | 2,070,000원 |
| 2 | 2층 | 단독주택(다중주택) | 49.22㎡(14.89평) / 2,070,000원 | 101,885,400 | * 사용승인:2021.12.27 |
| 3 | 3층 | 단독주택(다중주택) | 49.22㎡(14.89평) / 2,070,000원 | 101,885,400 | * 사용승인:2021.12.27 |
| 4 | 옥탑 | 단독주택(다중주택) | 11.083㎡(3.35평) / 1,410,000원 | 15,627,030 | * 사용승인:2021.12.27* 옥탑1층 |
| 제시외건물 | 1 | 봉천로21가길 5-39 [봉천동 649-25]판넬조 등 등 1.판넬조 등, 2.철근콘크리트구조 | 옥탑 / 단독주택 일부 | 12 | |
| 2 | 옥탑 | 계단실 | 6.14㎡(1.86평) / 1,030,000원 | 6,324,200 | 매각포함* 옥탑 1층 소재 |
현황 및 위치
* 본건은 서울시 관악구 봉천동 소재 ""당곡고등학교"" 남동측 인근에 위치하며 주위는 단독주택, 다가구주택, 근린생활시설 등이 소재하는 주거지대로 주위환경은 보통시됨. * 본건까지 차량접근이 가능하며 인근에 버스 정류장이 소재하는 등 전반적 대중교통상황은 보통시됨. * 본건토지는 인접지대비 완경사지를 조성한 사다리형의 토지로서 다중주택 건부지로 이용중임. * 본건 서측으로 노폭 약3미터 내외의 현황도로 소재함.
참고사항
* 일괄매각. 제시외 건물 포함 * 건축물대장상 옥탑 1층의 다락은 제시외건물1과 일체로 이용중으로 관련사항(행정적위반여부 등)의 확인을 요함 * 본건 토지면적과 일반건축물대장상 대지면적이 상이한바(도로후퇴부분 소재) 이를 감안하여 평가하였음. * 일반건축물대장상 대지면적은 95.85㎥임 ☞현황서상 내용:1층 101~102호, 2층 201~202호, 3층 301호, 옥탑이 있음.
등기부 현황
건물
| 순위 | 접수일자 | 권리종류 | 권리자 | 채권금액 | 소멸여부 | 비고 |
|---|---|---|---|---|---|---|
| 1(갑1) | 2021-12-31 | 소유권보존 | 박OO | 0 | ||
| 2(을1) | 2023-04-12 | 근저당 | 보OOOOOOO | 420,000,000 | 소멸 | 말소기준등기 |
| 3(을2) | 2024-07-18 | 주택임차권(2층 29㎡(문패상202호)) | 조OO | 150,000,000 | 전입:2022.04.08확정:2022.03.24 | |
| 4(을3) | 2024-07-19 | 주택임차권(1층약 19.5㎡(문패상102호)) | 주OO | 110,000,000 | 전입:2022.07.15확정:2022.06.12 | |
| 5(갑2) | 2025-05-12 | 강제경매 | 주OO | 110,000,000 | 소멸 | 2025타경102868 |
관련 문서 (PDF)
클릭하면 원본 파일이 열립니다