목록으로
최종 업데이트: 2026-04-22 13:21
2024타경4730
대전지방법원 서산지원 5계(041-660-0695)
부동산
부동산강제경매
유찰
진행중
| 소재지 |
-
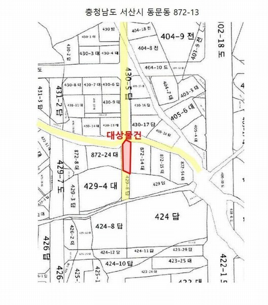
(충청남도 서산시 동문동 872-13)
|
|---|---|
| 물건종류 | 농지 |
| 면적 |
토지: 0.00㎡ (0평)
건물: 0.00㎡ (0평)
|
| 현재 위치 | 충청남도 서산시 동문동 872-13 |
| 소유자 / 채무자 | 정정순(망 유제순의 상속인) / 정정순(망 유제순의 상속인) |
| 채권자 | 국민은행 |
| 배당종기일 | 2025-05-13 |
감정가
147,000,000
최저가
50,421,000
보증금
5,042,100
입찰 진행 내역
| 회차/구분 | 입찰기일 | 최저매각가격 | 결과 |
|---|---|---|---|
| 1차 (진행) | 2025-12-23 | 147,000,000 | 유찰 |
| 2차 (진행) | 2026-02-03 | 102,900,000 | 유찰 |
| 3차 (진행) | 2026-03-10 | 72,030,000 | 유찰 |
| 4차 (진행) | 2026-04-28 | 50,421,000 |
임차인 현황
| 임차인명 | 점유여부 | 전입/확정/배당 | 보증금 / 차임 | 예상배당액 | 대항력 |
|---|---|---|---|---|---|
| 강○○ | 주거용 |
전입: 2011-10-17
확정: - 배당: - |
0
월 0
|
0 | - |
| 김○○ | 주거용 |
전입: 2018-05-10
확정: - 배당: - |
0
월 0
|
0 | 없음 |
| 김○○ | 주거용 |
전입: 2021-03-08
확정: - 배당: - |
0
월 0
|
0 | 없음 |
| 오○○ | 주거용 |
전입: 2021-04-22
확정: - 배당: - |
0
월 0
|
0 | 없음 |
| 홍○○ | 주거용 |
전입: 2019-05-27
확정: - 배당: - |
0
월 0
|
0 | 없음 |
매각물건 현황
| 구분 | 순번 | 소재지 | 용도/구조/면적 | 감정가 | 비고 |
|---|---|---|---|---|---|
| 토지 | 토지 | 동문동 872-13 | 제2종일반주거지역,가축사육제한구역,도시지역 / 답 105㎡ (31.76평) | 1,400,000 | 147,000,000원 |
현황 및 위치
* 대상물건은 충청남도 서산시 소재 "서산시청" 북동측 인근에 소재하는 토지로서, 주변은 단독주택, 상가주택, 아파트단지 등이 소재하는 주거지대로서, 제반 주위환경은 무난시됨. * 본건까지 차량접근이 가능하며 인근으로 간선도로 및 버스정류장 다수가 소재하여 교통 이용상황은 무난시됨. * 세장형 평지로서, 현황 "주거나지"임. * 본건 북측으로 노폭 약 4m 포장도로와 접함.
참고사항
* 지목 답이나 현황 주거나지임. ☞현황서상 내용:서산공용버스터미널 북쪽에 있고 대사동6길을 통하여 차량 접근이 양호함.
등기부 현황
건물
| 순위 | 접수일자 | 권리종류 | 권리자 | 채권금액 | 소멸여부 | 비고 |
|---|---|---|---|---|---|---|
| 1(갑1) | 1978-04-12 | 소유권이전(매매) | 유OO | 0 | ||
| 2(갑5) | 2023-09-14 | 가압류 | 국OOO | 106,284,489 | 소멸 | 말소기준등기2023카단216 |
| 3(갑6) | 2024-12-10 | 소유권이전(상속) | 정OO | 0 | ||
| 4(갑8) | 2025-01-20 | 강제경매 | 국OOOOOOOOOOOOOOO | 115,642,595 | 소멸 | 2024타경4730, 국민은행 가압류의 본 압류로의 이행 |
관련 문서 (PDF)
클릭하면 원본 파일이 열립니다