목록으로
최종 업데이트: 2026-04-27 00:01
2024타경49818
인천지방법원 부천지원 8계(032-320-1138)
부동산
부동산임의경매
유찰
진행중
| 소재지 |
-
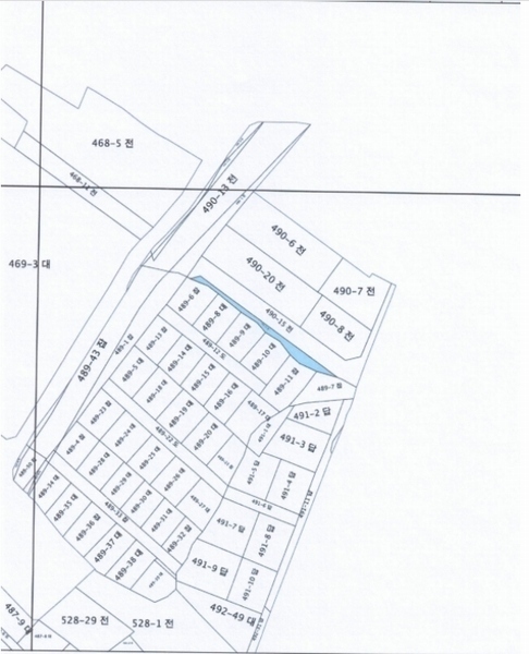
(경기도 김포시 고촌읍 신곡리 490-12)
|
|---|---|
| 물건종류 | 농지 |
| 면적 |
토지: 0.00㎡ (0평)
건물: 0.00㎡ (0평)
|
| 현재 위치 | 경기도 김포시 고촌읍 신곡리 490-12 |
| 소유자 / 채무자 | 신곡지역주택조합 / 신곡지역주택조합 |
| 채권자 | 회생채무자 대우산업개발(주)의 관리인 김광준 |
| 배당종기일 | 2025-01-21 |
감정가
493,248,000
최저가
169,184,000
보증금
16,918,400
입찰 진행 내역
| 회차/구분 | 입찰기일 | 최저매각가격 | 결과 |
|---|---|---|---|
| 1차 (진행) | 2026-01-13 | 493,248,000 | 유찰 |
| 2차 (진행) | 2026-02-26 | 345,274,000 | 유찰 |
| 3차 (진행) | 2026-04-09 | 241,692,000 | 유찰 |
| 4차 (진행) | 2026-05-12 | 169,184,000 |
매각물건 현황
| 구분 | 순번 | 소재지 | 용도/구조/면적 | 감정가 | 비고 |
|---|---|---|---|---|---|
| 토지 | 토지 | 신곡리 490-12 | 성장관리권역,수평표면구역,하수처리구역,고도지구,장애물제한표면구...성장관리권역,수평표면구역,하수처리구역,고도지구,장애물제한표면구역,도시지역,토지거래계약에관한허가구역,상대보호구역,도시개발구역,제2종일반주거지역,지구단위계획구역,가축사육제한구역 / 전 112㎡ (33.88평) | 4,404,000 | 493,248,000원 |
현황 및 위치
* 본건은 김포시 고촌읍 신곡리 소재 "고촌읍행정복지센터" 북측 인근에 위치하는 토지로서 인근은 단독주택, 아파트 및 근린생활시설 등이 혼재된 주상지대임. * 김포시 고촌읍 중심지역에 소재하며 남측인근에 김포골드라인 "고촌역" 및 48번 국도가 위치하고 시내버스정류장이 인접하는 등 대중교통상황 편리한 지역임. * 인접토지를 주택지로 개발하며 발생한 잔여지로서, 본건 토지는 부정형 토지로서 인접토지와 등고평탄한 나지상태이며 기타 토지는 부정형 또는 장방형 토지로서 다른토지로의 진입도로로 이용중임. * 간선도로인 중로에 접함.
전문가 코멘트
☞ [농지취득자격증명] 농지를 취득하려는 자는 신청서와 농업경영계획서(주말·체험영농계획서)를 작성하여 농지 소재지를 관할하는 시·구·읍·면장에게서 농지취득자격증명원을 발급받아 매각결정기일 전까지 법원에 제출하여야 하고 미제출 시 보증금이 몰수될 수 있으니 입찰 전 발급 가능 여부를 확인하시기 바랍니다. (정부24시를 통하여 발급 신청도 가능합니다.) ※ 2021.08.17. 개정된 농지법에 따라 농업진흥지역 내 농지의 주말ㆍ체험영농목적 취득을 제한(제6조제2항제3호)하고 있으니 이점 참고하시고 입찰에 참여하시기 바랍니다. ※ 2022.05.18.부터 농지취득 자격심사가 대폭 강화됨으로 증빙서류 추가 및 발급 민원처리 기간이 연장되었으므로 주의하시기 바라며, 농지위원회 심의를 거쳐 농지취득자격증명 발급 여부를 판단하는 경우에는 14일 이내에 발급하도록 되어 있으므로 입찰 전에 미리 해당 행정관서에 농지취득자격증명의 신청도 가능함을 참고하시기 바랍니다.
등기부 현황
건물
| 순위 | 접수일자 | 권리종류 | 권리자 | 채권금액 | 소멸여부 | 비고 |
|---|---|---|---|---|---|---|
| 1(갑4) | 2018-12-11 | 소유권이전(매매) | 신OOOOOOO | 0 | ||
| 2(을1) | 2019-10-15 | 근저당 | 대OOOOOOOO | 2,600,000,000 | 소멸 | 말소기준등기 |
| 3(갑7) | 2024-03-14 | 압류 | 김OO | 0 | 소멸 | |
| 4(을2) | 2024-05-31 | 근저당 | 이OO | 420,000,000 | 소멸 | |
| 5(갑8) | 2024-10-24 | 임의경매 | 김OO | 2,765,089,856 | 소멸 | 2024타경49818, 회생채무자 대우산업개발 주식회사의 관리인 |
| 6(갑9) | 2024-12-10 | 가압류 | 유OO | 14,000,000 | 소멸 | 2024카단3106 |
관련 문서 (PDF)
클릭하면 원본 파일이 열립니다