목록으로
최종 업데이트: 2026-04-27 02:04
2023타경11834
수원지방법원 본원 14계(031-210-1374)
부동산
부동산임의경매
매각
진행중
| 소재지 |
-
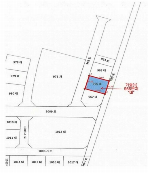
(경기도 수원시 영통구 신동 966)
|
|---|---|
| 물건종류 | 근린주택 |
| 면적 |
토지: 0.00㎡ (0평)
건물: 529.44㎡ (160.16평)
|
| 현재 위치 | 경기도 수원시 영통구 신동 966 |
| 소유자 / 채무자 | (주)아트 / (주)아트 |
| 채권자 | 농협자산관리회사(양도인:서울경기양돈축협) |
| 배당종기일 | 2024-01-29 |
감정가
2,467,638,400
최저가
1,209,142,000
보증금
120,914,200
진행 상태 / 매각 결과
매각
completed = false
매각허가결정
| 상태 코드 | 2 | 상태 텍스트 | 매각허가결정 |
|---|---|---|---|
| 매각가 | 1,673,700,000원 | 매각가율 | 0% |
| 입찰 수 | 12 | 매수인 | 신연선 |
| 차순위 입찰가 | 1,613,900,000원 | 매각허가 결정 | 매각허가결정 |
| 매각허가 결정일 | 2026-04-17 | 대금 지급기한 | - |
| 대금 지급상태 | - | 배당기일 | - |
| 배당 종결일 | - | 다음 확인 예정 | 2026-04-28 09:00 |
입찰 진행 내역
| 회차/구분 | 입찰기일 | 최저매각가격 | 결과 |
|---|---|---|---|
| (진행) | 2024-11-13 | 2,467,638,400 | 변경 |
| 1차 (진행) | 2026-01-28 | 2,467,638,400 | 유찰 |
| 2차 (진행) | 2026-03-10 | 1,727,346,000 | 유찰 |
| 3차 (진행) | 2026-04-10 | 1,209,142,000 |
진행 메모
매각 : 1,673,700,000 원 (67.83%)
(입찰 12 명,매수인:신연선 / 차순위금액 1,613,900,000원)
매각결정기일 : 2026.04.17 - 매각허가결정
임차인 현황
| 임차인명 | 점유여부 | 전입/확정/배당 | 보증금 / 차임 | 예상배당액 | 대항력 |
|---|---|---|---|---|---|
| 강주형 | 주거용 2층 203호 |
전입: 2021-06-04
확정: 2021-05-13 배당: 2024-01-17 |
180,000,000
월 0
|
0 | 없음 |
| 곽준영 | 주거용 2층 201호 |
전입: 2017-12-04
확정: 2017-11-09 배당: 2023-12-11 |
178,000,000
월 0
|
0 | 없음 |
| 김수경 | 주거용 303호 |
전입: 2016-04-08
확정: 2016-03-03 배당: 2023-12-28 |
175,000,000
월 0
|
0 | 없음 |
| 김시윤 | 주거용 2층 202호 |
전입: 2022-12-23
확정: 2022-12-06 배당: 2023-12-21 |
180,000,000
월 0
|
0 | 없음 |
| 남호정 | 주거용 3층 301호 |
전입: 2022-02-14
확정: 2021-12-27 배당: 2023-11-27 |
180,000,000
월 0
|
0 | 없음 |
| 박민호 | 주거용 4층 402호 |
전입: 2019-04-17
확정: 2019-03-19 배당: 2023-12-22 |
210,000,000
월 0
|
0 | 없음 |
| 서선미 | 점포 1층 |
전입: -
확정: 2023-09-08 배당: 2023-12-26 |
10,000,000
월 1,500,000
|
0 | 없음 |
| 안병휘 | 주거용 3층 302호 |
전입: 2018-07-11
확정: 2018-06-18 배당: 2023-12-22 |
185,000,000
월 0
|
0 | 없음 |
| 이예랑 | 주거용 301호 |
전입: 2023-05-15
확정: - 배당: - |
0
월 0
|
0 | 없음 |
| 이해용 | 주거용 4층 401호 |
전입: 2022-01-11
확정: 2021-11-22 배당: 2023-12-28 |
165,000,000
월 0
|
0 | 없음 |
매각물건 현황
| 구분 | 순번 | 소재지 | 용도/구조/면적 | 감정가 | 비고 |
|---|---|---|---|---|---|
| 토지 | 토지 | 신동 966 | 비행안전제6구역(전술),도시교통정비지역,성장관리권역,제2종일반주거...비행안전제6구역(전술),도시교통정비지역,성장관리권역,제2종일반주거지역,도시개발구역,지구단위계획구역,가축사육제한구역 / 대 287.2㎡ (86.88평) | 6,214,000 | 1,784,660,800원 |
| 건물 | 1 | 권선로882번길 107-24 [신동 966]철근콘크리트구조 (철근)콘크리트지붕 | 1층 / 제1종 근린생활시설 및 단독주택(다가구주택) | 72 | 1,290,000원 |
| 2 | 2층 | 제1종 근린생활시설 및 단독주택(다가구주택) | 171.82㎡(51.98평) / 1,290,000원 | 221,647,800 | * 사용승인:2015.12.17* 공부상 다가구주택(3가구) |
| 3 | 3층 | 제1종 근린생활시설 및 단독주택(다가구주택) | 171.82㎡(51.98평) / 1,290,000원 | 221,647,800 | * 사용승인:2015.12.17* 공부상다가구주택(3가구) |
| 4 | 4층 | 제1종 근린생활시설 및 단독주택(다가구주택) | 113.6㎡(34.36평) / 1,290,000원 | 146,544,000 | * 사용승인:2015.12.17* 공부상 다가구주택(2가구) |
현황 및 위치
* 본건은 경기도 수원시 영통구 신동 소재 래미안영통 마크원 1단지 아파트 서측 인근에 위치하며 부근은 주택 및 상가지대로서 인근으로 아파트, 다가구주택, 학교, 근린생활시설,관공서, 공원등이 소재하며 제반 주위환경은 보통인 편임. * 본건까지 차량 접근 가능하며 인근에 버스정류장 및 지하철역(망포역)이 소재하여 대중교통이용은 양호한 편임. * 인접도로와 등고 평탄한 세장형 토지로서 주상용 건부지로 이용중임. * 본건 서측 및 동측으로 로폭 약 8-12미터 도로에 각각 접함.
참고사항
* 일괄매각 * 난방: 개별난방설비 * 조사일 현재 본건 건물은 제시목록상 4층건 단독주택 이나 현황 제1종 근린생활시설 및 다가구주택으로 이용중인 바 경매진행 및 입찰참여시 참고하시기 바랍니다.
등기부 현황
건물
| 순위 | 접수일자 | 권리종류 | 권리자 | 채권금액 | 소멸여부 | 비고 |
|---|---|---|---|---|---|---|
| 1(갑1) | 2015-12-22 | 소유권보존 | 박OO | 0 | ||
| 2(을1) | 2015-12-22 | 근저당 | 농OOOOOOO | 720,000,000 | 소멸 | 말소기준등기확정채권양도전 : 서울경기양돈축협 |
| 3(갑2) | 2017-01-25 | 소유권이전(매매) | 유OO | 0 | ||
| 4(갑3) | 2018-09-17 | 소유권이전(매매) | (OOOO | 0 | ||
| 5(갑4) | 2023-08-29 | 가압류 | 전OO | 89,000,000 | 소멸 | 2023카단506429 |
| 6(을2) | 2023-09-07 | 주택임차권(2층 203호) | 강OO | 180,000,000 | 소멸 | 전입:2021.06.04확정:2021.05.13 |
| 7(갑5) | 2023-10-16 | 압류 | 수OOOOOOOOO | 0 | 소멸 | |
| 8(갑7) | 2023-10-23 | 압류 | 화OOOOOOOOOO | 0 | 소멸 | |
| 9(갑8) | 2023-11-14 | 가압류 | 정OO | 15,069,922 | 소멸 | 2023카단1244 |
| 10(갑9) | 2023-11-15 | 임의경매 | 농OOOOOOO | 491,820,814 | 소멸 | 2023타경11834 |
| 11(을3) | 2023-11-28 | 주택임차권(2층 201호) | 곽OO | 178,000,000 | 소멸 | 전입:2017.12.04확정:2017.11.09보:금178,000,000원(2021년11월10일 18,000,000원 증액한 임차보증금), 확:2017년11월9일(160,000,000원), 2021년11월10일(증액된 18,000,000원) |
| 12(을4) | 2023-12-11 | 주택임차권(4층 401호) | 이OO | 165,000,000 | 소멸 | 전입:2022.01.11확정:2021.11.22 |
| 13(을5) | 2024-02-02 | 주택임차권(2층 202호) | 김OO | 180,000,000 | 소멸 | 전입:2022.12.23확정:2022.12.06 |
| 14(을6) | 2024-02-22 | 주택임차권(4층 402호) | 박OO | 210,000,000 | 소멸 | 전입:2019.04.17확정:2019.03.19보:금210,000,000원(2021년3월20일 금10,000,000원 증액), 확:2019년3월19일(금200,000,000원), 2021년3월22일(증액된 금10,000,000원) |
| 15(을7) | 2024-03-11 | 주택임차권(3층 301호) | 남OO | 180,000,000 | 소멸 | 전입:2022.02.14확정:2021.12.27 |
| 16(을8) | 2024-05-20 | 주택임차권(3층 302호) | 안OO | 185,000,000 | 소멸 | 전입:2018.07.11확정:2018.06.18보:금185,000,000원 (2022년6월10일 15,000,000원 증액), 확:2018년6월18일(170,000,000원), 2022년6월10일(증액된 15,000,000원) |
| 17(을9) | 2025-11-21 | 주택임차권(3층 303호) | 김OO | 175,000,000 | 소멸 | 전입:2016.04.08확정:2016.03.031,2,3차보:금155,000,000원, 2차확:2018. 3. 26., 3차확:2020. 3. 5., 4차확:2022. 3. 4. |
관련 문서 (PDF)
클릭하면 원본 파일이 열립니다