목록으로
최종 업데이트: 2026-04-25 04:57
2024타경99190
수원지방법원 본원 20계(031-210-1395)
부동산
부동산강제경매
매각
진행중
| 소재지 |
-
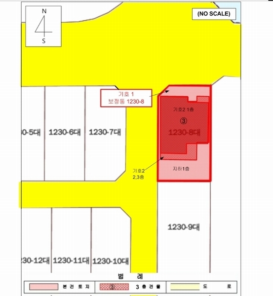
(경기도 용인시 기흥구 보정동 1230-8)
|
|---|---|
| 물건종류 | 주택 |
| 면적 |
토지: 0.00㎡ (0평)
건물: 297.87㎡ (90.11평)
|
| 현재 위치 | 경기도 용인시 기흥구 보정동 1230-8 |
| 소유자 / 채무자 | (주)진산 / (주)진산 |
| 채권자 | 이봉희 |
| 배당종기일 | 2025-02-14 |
감정가
1,691,354,400
최저가
1,183,948,000
보증금
118,394,800
진행 상태 / 매각 결과
매각
completed = false
매각허가결정
| 상태 코드 | 2 | 상태 텍스트 | 매각허가결정 |
|---|---|---|---|
| 매각가 | 1,248,700,000원 | 매각가율 | 0% |
| 입찰 수 | 1 | 매수인 | 김지연 |
| 차순위 입찰가 | 0원 | 매각허가 결정 | 매각허가결정 |
| 매각허가 결정일 | 2026-04-06 | 대금 지급기한 | - |
| 대금 지급상태 | - | 배당기일 | - |
| 배당 종결일 | - | 다음 확인 예정 | 2026-04-26 09:00 |
입찰 진행 내역
| 회차/구분 | 입찰기일 | 최저매각가격 | 결과 |
|---|---|---|---|
| 1차 (진행) | 2026-02-24 | 1,691,354,400 | 유찰 |
| 2차 (진행) | 2026-03-30 | 1,183,948,000 |
진행 메모
매각 : 1,248,700,000 원 (73.83%)
(입찰 1 명,매수인:김지연)
매각결정기일 : 2026.04.06 - 매각허가결정
대금지급기한 : 2026.05.12
임차인 현황
| 임차인명 | 점유여부 | 전입/확정/배당 | 보증금 / 차임 | 예상배당액 | 대항력 |
|---|---|---|---|---|---|
| 오명재 | 주거용 |
전입: 2022-03-10
확정: 2022-03-10 배당: 2025-01-24 |
1,200,000,000
월 0
|
0 | 있음 |
매각물건 현황
| 구분 | 순번 | 소재지 | 용도/구조/면적 | 감정가 | 비고 |
|---|---|---|---|---|---|
| 토지 | 토지 | 보정동 1230-8 | 비행안전제3구역(전술),제1종일반주거지역,성장관리권역,지구단위계획...비행안전제3구역(전술),제1종일반주거지역,성장관리권역,지구단위계획구역,토지거래계약에관한허가구역,택지개발지구,도시지역,가축사육제한구역 / 대 178㎡ (53.85평) | 5,160,000 | 918,480,000원 |
| 건물 | 1 | 죽현로80번길 30-5 [보정동 1230-8 제이크타운 1008호]철근콘크리트구조 징크판넬지붕 | 지하1층 / 단독주택(주차장) | 104 | 1,480,000원 |
| 2 | 지하1층 | 단독주택(현관, 창고) | 16.45㎡(4.98평) / 1,480,000원 | 24,346,000 | * 사용승인:2022.03.21* 도시가스 난방설비 |
| 3 | 1층 | 단독주택(거실, 주방/식당, 다용도실, 창고, 현관 등) | 65.12㎡(19.7평) / 3,360,000원 | 218,803,200 | * 사용승인:2022.03.21* 도시가스 난방설비 |
| 4 | 2층 | 단독주택(방3, 욕실2, 세탁실 등) | 69.01㎡(20.88평) / 3,360,000원 | 231,873,600 | * 사용승인:2022.03.21* 도시가스 난방설비 |
| 5 | 3층 | 단독주택(가족실, 욕실, 보일러실 등) | 42.48㎡(12.85평) / 3,360,000원 | 142,732,800 | * 사용승인:2022.03.21* 도시가스 난방설비 |
현황 및 위치
* 본건은 경기도 용인시 기흥구 보정동 소재 "독정초등학교" 동측 인근에 위치하며, 주위는 아파트, 연립주택, 단독주택, 학교 등이 혼재하는 지역임. * 본건까지 차량접근 가능하며, 인근의 노선버스 정류장의 위치 및 운행빈도 등을 고려할 때 제반 대중교통상황은 보통임. * 인접 도로 대비 등고평탄한 세장형의 토지로 주거용 건부지로 이용 중임. * 본건 북측으로 폭 약 12미터의 도로에 접하고 서측으로 폭 약 6미터의 도로에 접함.
참고사항
* 일괄매각 * 지1층 창고에 변기가 설치되어 있으며, 지1층 상부에 건축물대장에 등재되지 않은 공간이 있음 - 현황을 확인하지 못하여 평가하지 아니하였음 * 본건 경매에는 단지내 도로로 사용되고 있는 보정동 1230(지목: 대지, 현황: 도로, 면적 1283㎡) 지분이 포함되지 않아 본건 소유권을 취득하더라도 단지내 도로를 사용할 수 없을 수 있으니 경매 진행 및 입찰 참여 시 참고하시기 바람 * 지층은 서측 전면도로와 높이 차이가 없는 1층 상태임 ☞현황서상 내용: 현황은 벽면에 도로명주소는 일치하였으나 제이크타운 1008호라는 표시는 별도로 없었음
등기부 현황
건물
| 순위 | 접수일자 | 권리종류 | 권리자 | 채권금액 | 소멸여부 | 비고 |
|---|---|---|---|---|---|---|
| 1(갑1) | 2022-05-20 | 소유권보존 | (OOOO | 0 | ||
| 2(갑2) | 2023-08-16 | 가압류 | 이OO | 140,000,000 | 소멸 | 말소기준등기2023카단505997 |
| 3(을1) | 2024-11-18 | 근저당 | 김OO | 240,000,000 | 소멸 | |
| 4(갑3) | 2024-11-26 | 강제경매 | 이OO | 177,369,862 | 소멸 | 2024타경99190, 이봉희 가압류의 본 압류로의 이행 |
| 5(갑6) | 2025-02-11 | 가압류 | 강OO | 42,000,000 | 소멸 | 2025카단501052 |
| 6(갑7) | 2025-07-28 | 압류 | 국OOOOOOOO | 0 | 소멸 |
관련 문서 (PDF)
클릭하면 원본 파일이 열립니다