목록으로
최종 업데이트: 2026-04-22 13:21
2025타경258
창원지방법원 진주지원 2계(055-760-3252)
부동산
부동산임의경매
유찰
진행중
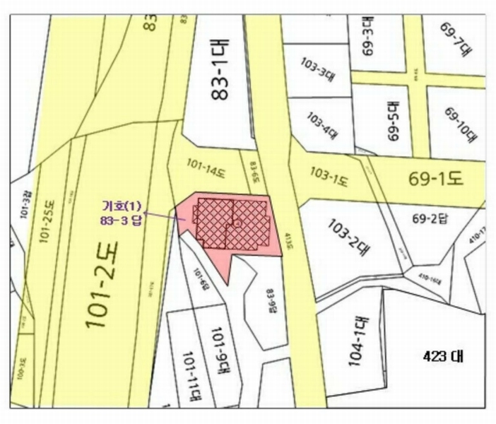
| 소재지 |
-
(경상남도 사천시 동림동 83-3)
|
|---|---|
| 물건종류 | 근린주택 |
| 면적 |
토지: 0.00㎡ (0평)
건물: 520.48㎡ (157.45평)
|
| 현재 위치 | 경상남도 사천시 동림동 83-3 |
| 소유자 / 채무자 | (주)우용주택건설 / (주)우용주택건설 |
| 채권자 | 케이씨유엔피엘대부(주)(양도전: 남해신협) |
| 배당종기일 | 2025-03-31 |
감정가
977,427,400
최저가
500,443,000
보증금
50,044,300
입찰 진행 내역
| 회차/구분 | 입찰기일 | 최저매각가격 | 결과 |
|---|---|---|---|
| 1차 (진행) | 2025-12-01 | 977,427,400 | 유찰 |
| 2차 (진행) | 2026-01-19 | 781,942,000 | 유찰 |
| 3차 (진행) | 2026-03-16 | 625,554,000 | 유찰 |
| 4차 (진행) | 2026-04-27 | 500,443,000 |
임차인 현황
| 임차인명 | 점유여부 | 전입/확정/배당 | 보증금 / 차임 | 예상배당액 | 대항력 |
|---|---|---|---|---|---|
| (주)비에스골프(변경전:국제골프랜드(주)) | 주거용 301호(26.38㎡) |
전입: -
확정: 2024-11-22 배당: 2025-02-21 |
5,000,000
월 350,000
|
0 | - |
| 김건훈 | 주거용 302호(40㎡) |
전입: 2019-05-20
확정: 2019-04-26 배당: 2025-02-05 |
70,000,000
월 0
|
0 | 없음 |
| 김기철 | 주거용 401호 |
전입: -
확정: - 배당: - |
3,000,000
월 400,000
|
0 | - |
| 박기영 | 주거용 301호 |
전입: -
확정: - 배당: - |
0
월 0
|
0 | - |
| 박봉열 | 주거용 101호 |
전입: 2024-01-08
확정: - 배당: - |
0
월 0
|
0 | 없음 |
| 박수연 | 점포 1층 상가(40.35㎡) |
전입: -
확정: - 배당: - |
10,000,000
월 300,000
|
0 | 없음 |
| 박수흠 | 주거용 203호(30.77㎡) |
전입: 2024-03-26
확정: - 배당: 2025-03-20 |
5,000,000
월 350,000
|
0 | 없음 |
| 유창일 | 주거용 301호(21.29㎡) |
전입: 2023-11-06
확정: 2024-09-19 배당: 2024-09-19 |
5,000,000
월 350,000
|
0 | 없음 |
| 이금례 | 주거용 202호(40㎡) |
전입: 2021-12-23
확정: 2025-01-23 배당: 2025-02-18 |
20,000,000
월 300,000
|
0 | 없음 |
| 임세빈 | 주거용 402호(33㎡) |
전입: 2021-05-21
확정: 2021-05-21 배당: 2024-01-12 |
60,000,000
월 0
|
0 | 없음 |
| 장영주 | 주거용 304호 |
전입: 2024-05-28
확정: - 배당: - |
0
월 0
|
0 | 없음 |
| 최단비 | 주거용 403호(45㎡) |
전입: 2023-12-14
확정: 2024-07-30 배당: 2025-03-31 |
15,000,000
월 500,000
|
0 | 없음 |
매각물건 현황
| 구분 | 순번 | 소재지 | 용도/구조/면적 | 감정가 | 비고 |
|---|---|---|---|---|---|
| 토지 | 토지 | 동림동 83-3 | 제2종일반주거지역,가축사육제한구역 / 답 263㎡ (79.56평) | 887,000 | 233,281,000원 |
| 건물 | 1 | 삼천포대교로 500 [동림동 83-3]철근콘크리트구조 슬래브지붕 | 1층 / 근린생할시설 및 계단실 | 65 | 1,080,000원 |
| 2 | 2층 | 다가구주택(4가구) | 151.69㎡(45.89평) / 1,480,000원 | 224,501,200 | * 사용승인:2019.01.28 |
| 3 | 3층 | 다가구주택(4가구) | 151.69㎡(45.89평) / 1,480,000원 | 224,501,200 | * 사용승인:2019.01.28 |
| 4 | 4층 | 다가구주택(3가구) | 151.69㎡(45.89평) / 1,480,000원 | 224,501,200 | * 사용승인:2019.01.28* 공부상 143.62㎡ |
현황 및 위치
* 경상남도 사천시 동림동 소재 사천시문화예술회관 북동측 인근에 위치하며, 부근은 근린생활시설, 단독주택 및 공동주택 등으로 형성되어져 있습니다. * 차량 접근 용이하고, 대중교통 사정은 버스정류장까지의 거리 및 운행빈도 등을 고려컨대 무난한 편입니다. * 부정형의 자체지면 평탄한 토지로서, 다가구주택 등 부지로 이용중입니다. * 본건 서측으로 대로와 북측으로 소로, 동측으로 폭 약 4m내외의 포장도로에 각각 접합니다.
참고사항
* 일괄 매각 * 본건 건물 4층 공부상 면적 “143.62㎡”이나, 현황 “151.69㎡”임 - 실측사정 면적을 기준으로 해당 건물을 평가하였습니다. * 본건 건물의 옥탑(계단실)등은 건물가격에 포함하여 평가함
등기부 현황
건물
| 순위 | 접수일자 | 권리종류 | 권리자 | 채권금액 | 소멸여부 | 비고 |
|---|---|---|---|---|---|---|
| 1(갑1) | 2019-01-30 | 소유권보존 | (OOOOOOOO | 0 | ||
| 2(을1) | 2019-01-31 | 근저당 | 케OOOOOOOOOOO | 624,000,000 | 소멸 | 말소기준등기확정채권양도 전:남해신용협동조합 |
| 3(을2) | 2019-05-20 | 전세권(3층 302호) | 김OO | 70,000,000 | 소멸 | 존속기간:2019.05.20~2021.05.19 |
| 4(갑2) | 2024-01-04 | 압류 | 국OOOOOOOOO | 0 | 소멸 | |
| 5(을5) | 2024-01-12 | 주택임차권(4층 402호) | 임OO | 60,000,000 | 소멸 | 전입:2021.05.21확정:2021.05.21 |
| 6(갑3) | 2024-01-29 | 가압류 | 고OOOOOO | 376,484,354 | 소멸 | 2024카단57 |
| 7(갑4) | 2024-09-05 | 압류 | 사OO | 0 | 소멸 | |
| 8(을6) | 2024-09-19 | 주택임차권(3층 301호) | 유OO | 5,000,000 | 소멸 | 전입:2023.11.06확정:0000.00.00차:350,000원 |
| 9(갑5) | 2025-01-14 | 임의경매 | 케OOOOOOOOOOO | 505,297,132 | 소멸 | 2025타경258 |
| 10(을7) | 2025-02-07 | 주택임차권(2층 202호) | 이OO | 20,000,000 | 소멸 | 전입:2021.12.23확정:2025.01.23차:300,000원 |
| 11(갑6) | 2025-03-24 | 가압류 | 구OO | 200,000,000 | 소멸 | 2025카단280 |
| 12(갑7) | 2025-03-24 | 가압류 | 박OO | 300,000,000 | 소멸 | 2025카단282 |
| 13(갑8) | 2025-03-24 | 가압류 | 강OO | 60,000,000 | 소멸 | 2025카단279 |
관련 문서 (PDF)
클릭하면 원본 파일이 열립니다