목록으로
최종 업데이트: 2026-04-26 03:28
2025타경42241
수원지방법원 평택지원 4계(031-650-3171)
부동산
부동산강제경매
매각
진행중
| 소재지 |
-
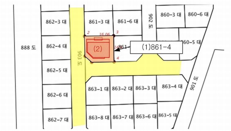
(경기도 평택시 안중읍 현화리 861-4)
|
|---|---|
| 물건종류 | 근린주택 |
| 면적 |
토지: 0.00㎡ (0평)
건물: 515.15㎡ (155.83평)
|
| 현재 위치 | 경기도 평택시 안중읍 현화리 861-4 |
| 소유자 / 채무자 | 현연숙 / 현연숙 |
| 채권자 | 손수정 |
| 배당종기일 | 2025-10-15 |
감정가
996,460,560
최저가
488,265,670
보증금
48,826,600
진행 상태 / 매각 결과
매각
completed = false
매각허가결정
| 상태 코드 | 2 | 상태 텍스트 | 매각허가결정 |
|---|---|---|---|
| 매각가 | 493,850,000원 | 매각가율 | 0% |
| 입찰 수 | 1 | 매수인 | 신창우 |
| 차순위 입찰가 | 0원 | 매각허가 결정 | 매각허가결정 |
| 매각허가 결정일 | 2026-04-13 | 대금 지급기한 | - |
| 대금 지급상태 | - | 배당기일 | - |
| 배당 종결일 | - | 다음 확인 예정 | 2026-04-27 09:00 |
입찰 진행 내역
| 회차/구분 | 입찰기일 | 최저매각가격 | 결과 |
|---|---|---|---|
| 1차 (진행) | 2026-01-19 | 996,460,560 | 유찰 |
| 2차 (진행) | 2026-03-09 | 697,522,390 | 유찰 |
| 3차 (진행) | 2026-04-06 | 488,265,670 |
진행 메모
매각 : 493,850,000 원 (49.56%)
(입찰 1 명,매수인:신창우)
매각결정기일 : 2026.04.13 - 매각허가결정
대금지급기한 : 2026.05.28
임차인 현황
| 임차인명 | 점유여부 | 전입/확정/배당 | 보증금 / 차임 | 예상배당액 | 대항력 |
|---|---|---|---|---|---|
| 강영우 | 주거용 1동 303호 |
전입: 2022-05-11
확정: 2022-05-11 배당: 2025-08-14 |
45,000,000
월 0
|
0 | 없음 |
| 박재우 | 주거용 3층 301호 |
전입: 2021-03-23
확정: 2021-02-22 배당: 2025-08-13 |
40,000,000
월 0
|
0 | 없음 |
| 손수정 | 주거용 2층 202호 |
전입: 2020-12-14
확정: 2020-12-14 배당: 2025-03-04 |
55,000,000
월 0
|
0 | 없음 |
| 송주용 | 주거용 302호 |
전입: 2025-08-05
확정: 2020-02-21 배당: 2025-10-13 |
60,000,000
월 0
|
0 | 없음 |
| 이기헌 | 주거용 203호 |
전입: 2025-02-06
확정: 2025-02-06 배당: 2025-09-12 |
5,000,000
월 300,000
|
0 | 없음 |
| 이원정 | 주거용 201호 |
전입: 2024-08-30
확정: 2024-08-30 배당: 2025-10-02 |
40,000,000
월 0
|
0 | 없음 |
| 이지원 | 점포 1층 (99.44㎡) |
전입: -
확정: - 배당: - |
10,000,000
월 500,000
|
0 | 없음 |
매각물건 현황
| 구분 | 순번 | 소재지 | 용도/구조/면적 | 감정가 | 비고 |
|---|---|---|---|---|---|
| 토지 | 토지 | 현화리 861-4 | 절대보호구역,상대보호구역,제2종일반주거지역,토지거래계약에관한허...절대보호구역,상대보호구역,제2종일반주거지역,토지거래계약에관한허가구역,지구단위계획구역,가축사육제한구역 / 대 226.8㎡ (68.61평) | 1,790,000 | 405,972,000원 |
| 건물 | 1 | 안중로8번길 23-12 [현화리 861-4]철근콘크리트구조 (철근)콘크리트지붕 | 1층 / 제2종근생(학원) | 99 | 1,008,000원 |
| 2 | 2층 | 단독주택(다가구 3가구) | 130.04㎡(39.34평) / 1,224,000원 | 159,168,960 | * 사용승인:2010.12.03* 도시가스에 의한 난방설비 |
| 3 | 3층 | 단독주택(다가구 3가구) | 130.04㎡(39.34평) / 1,224,000원 | 159,168,960 | * 사용승인:2010.12.03* 도시가스에 의한 난방설비 |
| 4 | 4층 | 단독주택(다가구 1가구) | 134.45㎡(40.67평) / 1,224,000원 | 164,566,800 | * 사용승인:2010.12.03* 공부상 127.85㎡ * 도시가스에 의한 난방설비 |
| 5 | 옥탑 | 계단실 | 14.58㎡(4.41평) / 504,000원 | 7,348,320 | * 사용승인:2010.12.03* 도시가스에 의한 난방설비 |
| 제시외건물 | 안중로8번길 23-12 [현화리 861-4]철근콘크리트조 슬래브지붕 | 4층 | 발코니 / 6.6㎡(2평) | 0 |
현황 및 위치
* 본건은 경기도 평택시 안중읍 현화리 소재 ""평택안일초등학교"" 동측 인근에 위치하며, 주위는 단독주택, 다세대주택, 근린생활시설, 아파트단지 등이 혼재하는 지역임. * 본건까지 차량접근 가능하며, 인근의 노선버스정류장의 위치 및 운행빈도 등 제반 대중교통 이용사정은 보통임. * 대체로 등고평탄한 지세에 위치한 정방형의 토지로서 단독주택 및 근린생활시설 건부지로 이용중임. * 본건 서측과 남측으로 왕복2차선의 포장도로에 각각 접하고 있음.
참고사항
* 일괄매각. (제시외 건물 포함) * 1층 상가와 2~4층 다가구주택이 있는 건물임. * 제시외 발코니는 건물 4층의 면적에 포함하여 감정 평가함. - 제시외 6.6㎡ 포함, 4층 부분 현황 면적 134.45㎡ 적용 ☞현황서상 내용:4층으로 출입하는 출입문이 3층에 있고, 그외 3층 3세대, 2층 3세대의 전유 부분이 있음.
등기부 현황
건물
| 순위 | 접수일자 | 권리종류 | 권리자 | 채권금액 | 소멸여부 | 비고 |
|---|---|---|---|---|---|---|
| 1(갑1) | 2010-12-09 | 소유권보존 | 현OO | 0 | ||
| 2(을1) | 2010-12-24 | 근저당 | 농OOOOOOOOOO | 180,000,000 | 소멸 | 말소기준등기 |
| 3(을2) | 2010-12-24 | 근저당 | 농OOOO | 96,000,000 | 소멸 | |
| 4(을7) | 2025-03-04 | 주택임차권(2층 202호) | 손OO | 55,000,000 | 소멸 | 전입:2020.12.14확정:2020.12.14 |
| 5(을8) | 2025-05-27 | 주택임차권(3층 301호) | 박OO | 40,000,000 | 소멸 | 전입:2021.03.23확정:2021.02.221차 보:40,000,000원, 2차 확:없음 |
| 6(갑2) | 2025-07-16 | 강제경매 | 손OO | 58,037,807 | 소멸 | 2025타경42241 |
관련 문서 (PDF)
클릭하면 원본 파일이 열립니다