목록으로
최종 업데이트: 2026-04-28 01:15
2024타경55304
수원지방법원 평택지원 7계(031-650-3048)
부동산
임의경매(공유물분할을위한경매)
유찰
진행중
| 소재지 |
-
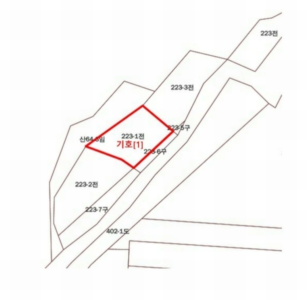
(경기도 평택시 현덕면 방축리 223-1)
|
|---|---|
| 물건종류 | 농지 |
| 면적 |
토지: 0.00㎡ (0평)
건물: 0.00㎡ (0평)
|
| 현재 위치 | 경기도 평택시 현덕면 방축리 223-1 |
| 소유자 / 채무자 | 박근하 외 7 / 박근하 외 6 |
| 채권자 | 이연범 |
| 배당종기일 | 2025-03-11 |
감정가
49,700,000
최저가
17,047,000
보증금
1,704,700
입찰 진행 내역
| 회차/구분 | 입찰기일 | 최저매각가격 | 결과 |
|---|---|---|---|
| 1차 (진행) | 2026-01-27 | 49,700,000 | 유찰 |
| 2차 (진행) | 2026-03-17 | 34,790,000 | 유찰 |
| 3차 (진행) | 2026-04-14 | 24,353,000 | 유찰 |
| 4차 (진행) | 2026-06-09 | 17,047,000 |
매각물건 현황
| 구분 | 순번 | 소재지 | 용도/구조/면적 | 감정가 | 비고 |
|---|---|---|---|---|---|
| 토지 | 토지 | 방축리 223-1 | 토지거래계약에관한허가구역,성장관리계획구역,가축사육제한구역,계획관리지역 / 전 142㎡ (42.96평) | 350,000 | 49,700,000원 |
현황 및 위치
* 본건은 경기도 평택시 현덕면 방축리에 소재한 방축2리마을회관 북동측 인근에 위치하며 부근은 농경지, 임야, 일부 주택 등이 소재함. * 본건까지 차량접근 가능함. * 대체로 사다리형 토지로서 전임. * 본건 남동측으로 포장도로에 접함.
참고사항
* 밭농사 중임 * 본건 토지는 인접지와 경계구분없는 상태로서 정확한 지적경계 확인 등은 별도 확인요함.
전문가 코멘트
☞ [농지취득자격증명] 농지를 취득하려는 자는 신청서와 농업경영계획서(주말·체험영농계획서)를 작성하여 농지 소재지를 관할하는 시·구·읍·면장에게서 농지취득자격증명원을 발급받아 매각결정기일 전까지 법원에 제출하여야 하고 미제출 시 보증금이 몰수될 수 있으니 입찰 전 발급 가능 여부를 확인하시기 바랍니다. (정부24시를 통하여 발급 신청도 가능합니다.) ※ 2021.08.17. 개정된 농지법에 따라 농업진흥지역 내 농지의 주말ㆍ체험영농목적 취득을 제한(제6조제2항제3호)하고 있으니 이점 참고하시고 입찰에 참여하시기 바랍니다. ※ 2022.05.18.부터 농지취득 자격심사가 대폭 강화됨으로 증빙서류 추가 및 발급 민원처리 기간이 연장되었으므로 주의하시기 바라며, 농지위원회 심의를 거쳐 농지취득자격증명 발급 여부를 판단하는 경우에는 14일 이내에 발급하도록 되어 있으므로 입찰 전에 미리 해당 행정관서에 농지취득자격증명의 신청도 가능함을 참고하시기 바랍니다.☞ 본건의 가처분은 선순위로써 매수인에게 인수되는 권리이나, a.가처분권자가 소유권을 취득한 경우, b.가처분권자가 경매신청권자와 동일한 경우, c.피보전권리가 근저당권설정청구권이고 가처분권리자가 근저당권 설정을 완료한 경우/ 목적달성을 이유로 가처분등기 말소촉탁신청을 하거나 사정변경을 이유로 가처분 취소신청을 하여 소멸시킬 수 있습니다.
등기부 현황
건물
| 순위 | 접수일자 | 권리종류 | 권리자 | 채권금액 | 소멸여부 | 비고 |
|---|---|---|---|---|---|---|
| 1(갑1) | 1999-04-07 | 소유권이전(상속) | 박OOOOO | 0 | 협의분할에 의한 상속, 박재연,박근하,박은하,박용하,박상진 각 1/5 | |
| 2(갑14) | 2021-06-17 | 박상진지분전부이전 | 이OO | 0 | 공매, 1/5 | |
| 4(갑17) | 2024-12-04 | 박재연지분전부이전 | 위OOOOO | 0 | 상속, 위성애 3/45, 박미란,박우진,박상기 각 2/45 | |
| 5(갑18) | 2024-12-09 | 임의경매 | 이OO | 0 | 소멸 | 말소기준등기2024타경55304 |
관련 문서 (PDF)
클릭하면 원본 파일이 열립니다