목록으로
최종 업데이트: 2026-04-25 05:26
2024타경4924
수원지방법원 평택지원 3계(031-650-3167)
부동산
부동산임의경매
매각
진행중
| 소재지 |
-
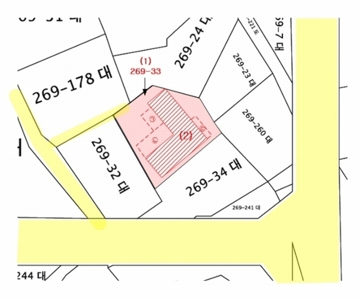
(경기도 평택시 신장동 269-33)
|
|---|---|
| 물건종류 | 주택 |
| 면적 |
토지: 0.00㎡ (0평)
건물: 52.75㎡ (15.96평)
|
| 현재 위치 | 경기도 평택시 신장동 269-33 |
| 소유자 / 채무자 | 박미숙 / 박미숙 |
| 채권자 | 규암농협 |
| 배당종기일 | 2025-01-29 |
감정가
165,767,000
최저가
27,860,450
보증금
2,786,100
진행 상태 / 매각 결과
매각
completed = false
매각허가결정
| 상태 코드 | 2 | 상태 텍스트 | 매각허가결정 |
|---|---|---|---|
| 매각가 | 35,100,000원 | 매각가율 | 0% |
| 입찰 수 | 6 | 매수인 | 주.사랑교회 |
| 차순위 입찰가 | 32,159,500원 | 매각허가 결정 | 매각허가결정 |
| 매각허가 결정일 | 2026-04-06 | 대금 지급기한 | - |
| 대금 지급상태 | - | 배당기일 | - |
| 배당 종결일 | - | 다음 확인 예정 | 2026-04-26 09:00 |
입찰 진행 내역
| 회차/구분 | 입찰기일 | 최저매각가격 | 결과 |
|---|---|---|---|
| 1차 (진행) | 2025-08-25 | 165,767,000 | 유찰 |
| 2차 (진행) | 2025-10-13 | 116,036,900 | 유찰 |
| 3차 (진행) | 2025-11-17 | 81,225,830 | 유찰 |
| 4차 (진행) | 2025-12-22 | 56,858,080 | 유찰 |
| 5차 (진행) | 2026-02-23 | 39,800,650 | 유찰 |
| 6차 (진행) | 2026-03-30 | 27,860,450 |
진행 메모
매각 : 35,100,000 원 (21.17%)
(입찰 6 명,매수인:주.사랑교회 / 차순위금액 32,159,500원)
매각결정기일 : 2026.04.06 - 매각허가결정
대금지급기한 : 2026.05.14
임차인 현황
| 임차인명 | 점유여부 | 전입/확정/배당 | 보증금 / 차임 | 예상배당액 | 대항력 |
|---|---|---|---|---|---|
| 이인주 | 주거용 전부 |
전입: 2016-03-24
확정: 2024-04-15 배당: 2024-11-18 |
2,000,000
월 150,000
|
0 | 있음 |
매각물건 현황
| 구분 | 순번 | 소재지 | 용도/구조/면적 | 감정가 | 비고 |
|---|---|---|---|---|---|
| 토지 | 토지 | 신장동 269-33 | 비행안전제5구역(전술),군용비행장 소음대책구역 제3종구역,상대보호...비행안전제5구역(전술),군용비행장 소음대책구역 제3종구역,상대보호구역,제1종일반주거지역,토지거래계약에관한허가구역,가축사육제한구역 / 대 102㎡ (30.86평) | 1,570,000 | 160,140,000원 |
| 건물 | 송월로26번길 12-10 [신장동 269-33]흙벽돌조 스레트지붕 | 단층 | 단독주택 / 37.75㎡(11.42평) | 116,000 | 4,379,000원 |
| 제시외건물및기타 | 1 | 송월로26번길 12-10 [신장동 269-33]벽체이용.목조.판넬지붕 등 1.벽체이용.목조.판넬지붕, 2.벽체이용.브럭조.스레트지붕, 3.벽체이용.브럭조.스레트지붕 | / 제시외건물(출입구) | 4 | 40,000원 |
| 2 | 제시외건물(주택일부) | 8.6㎡(2.6평) / 100,000원 | 860,000 | 매각포함 | |
| 3 | 제시외건물(주택일부) | 2.2㎡(0.67평) / 100,000원 | 220,000 | 매각포함 |
현황 및 위치
* 경기도 평택시 신장동 소재 "송신초등학교" 서측 인근에 위치하며, 인근일대는 주로 구옥단독주택들이 밀집하여 소재하는 기존 주거지대임. * 본건까지 차량출입 불가능하고, 인근에 버스정류장이 소재하며, 동측 직선거리 약350미터 지점에 송탄전철역이 위치함. * 다각형의 토지로서 주거용 건부지로 이용중임 * 지적상 맹지로서 인접지(269-178번지)상에 개설된 현황도로를 이용하여 출입 가능함.
참고사항
* 일괄매각. * 제시외 건물 포함. 석축, 급.배수설비 등은 토지 및 건물가액에 포함하여 매각. * 지적경계가 불분명한 상태임. * 지적상 맹지. ☞현황서상 내용:본건물은 본건 토지 269-33번지 일부와 인접 2필의 토지 일부에 걸쳐 소재하는 것으로 보이고, 토지에는 본건 건물 이외에 인접 건물이 일부 소재하는 것으로 보이는 바, 정확한 경계확정은 측량 등을 통하여 확인함이 필요해 보임.
등기부 현황
건물
| 순위 | 접수일자 | 권리종류 | 권리자 | 채권금액 | 소멸여부 | 비고 |
|---|---|---|---|---|---|---|
| 2(을1) | 2017-10-19 | 근저당 | 규OOO | 70,800,000 | 소멸 | 말소기준등기 |
| 3(을2) | 2024-03-25 | 근저당 | 박OO | 70,000,000 | 소멸 | |
| 4(갑11) | 2024-10-31 | 임의경매 | 규OOO | 48,080,416 | 소멸 | 2024타경4924 |
관련 문서 (PDF)
클릭하면 원본 파일이 열립니다